物件掲載企業数:299|賃貸物件:2,912件|売買物件:3,228件|今週の登録物件:351
閲覧中のブラウザ(インターネットエクスプローラー)は非推奨ブラウザです。
物件が正しく表示されなかったり、正しく検索されない場合があります。最新のブラウザ(Google Chrome・Edgeなど)にてご利用お願いいたします。
  

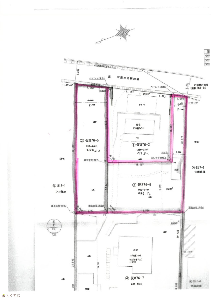
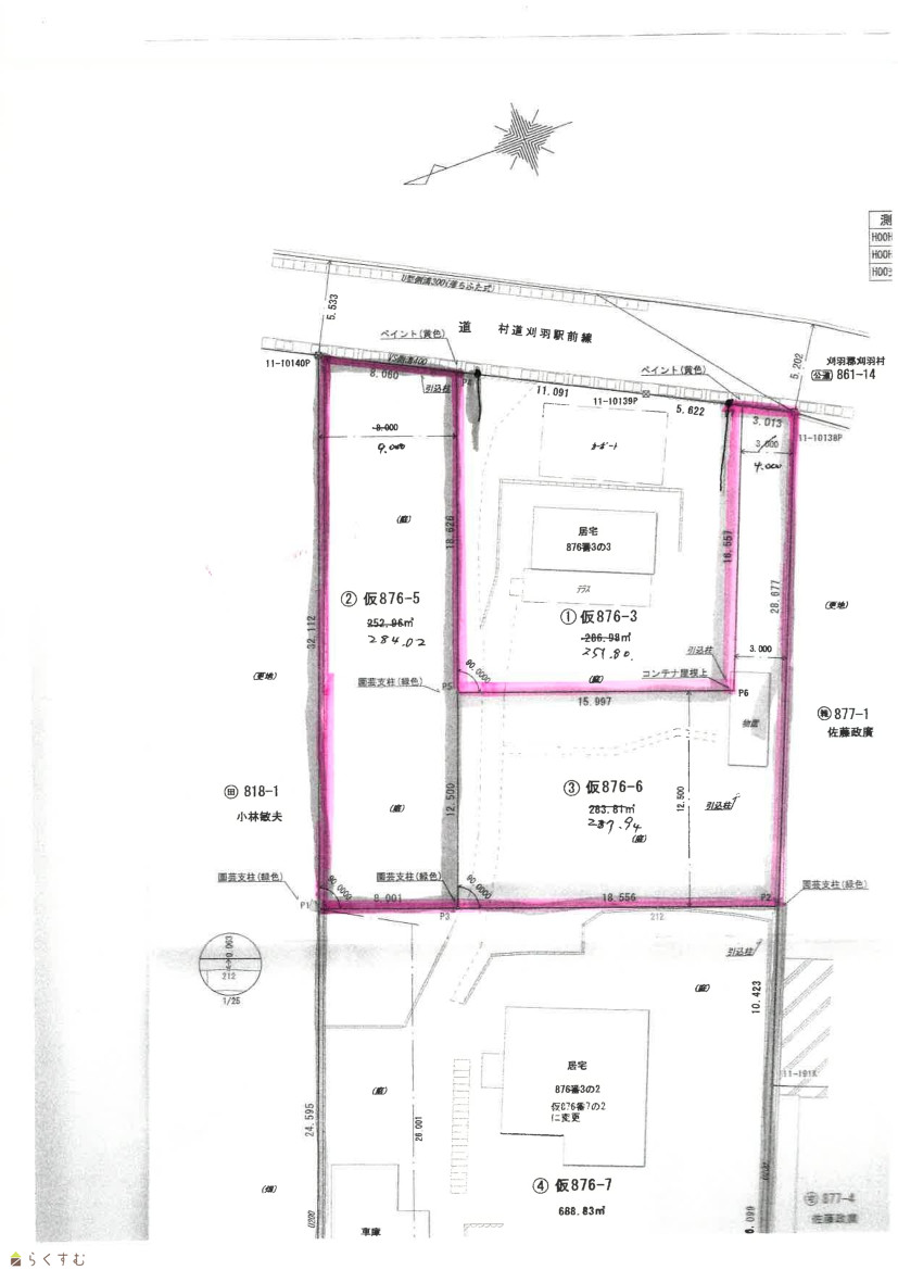
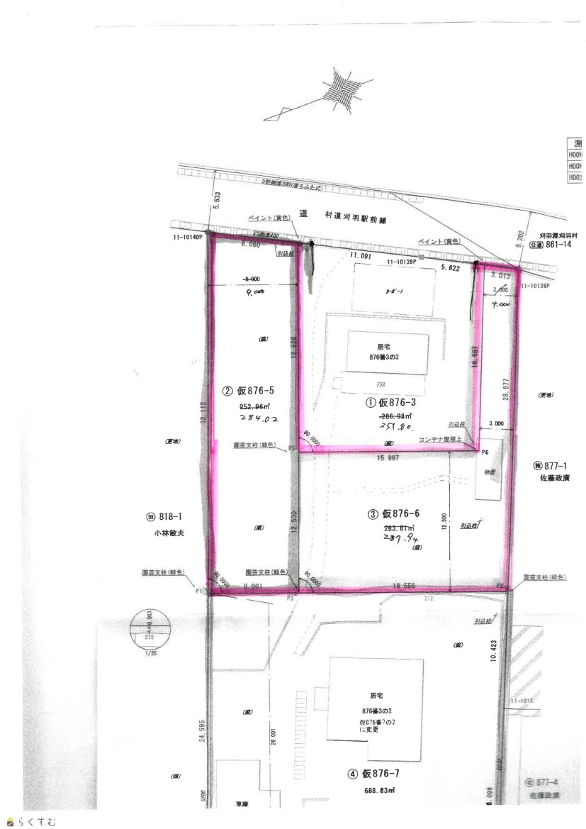
新潟県刈羽郡刈羽村刈羽876-5、876-6 売土地・分譲地 5,000,000円の物件情報

物件名/所在地 詳細 価格
刈羽郡刈羽村刈羽 売土地
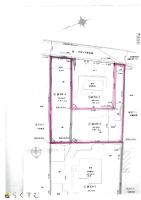
新潟県刈羽郡刈羽村刈羽876-5、876-6
  • 土地面積
    :571.96㎡ /173.01坪
  • 坪単価
    :28,900円/坪
  • 建ぺい率
    :70%
  • 容積率
    :200%
5,000,000
  • 刈羽郡刈羽村刈羽 売土地
    株式会社 アイエステート
  • この物件を問い合わせる/無料
  • TEL: 0257-24-2545

物件画像

外観 間取り
物件画像
※画像クリックで拡大表示
1
物件画像
※画像クリックで拡大表示
2
詳細画像


物件概要

物件コード 00083-200033
物件名 刈羽郡刈羽村刈羽 売土地
交通 駅:越後線 刈羽駅から徒歩5分、バス:刈羽駅前から徒歩2分
物件所在地 新潟県刈羽郡刈羽村刈羽876-5、876-6
物件種別 売土地・分譲地
物件区分 売土地
構造 - 階建 -
建ぺい率/容積率 70%/200%
建物面積 -
土地面積 571.96㎡ /173.01坪
築年月 -
入居(引き渡し)時期 相談
用途地域 無指定 地目 宅地
都市計画 非線引き都市計画区域 学校区 刈羽小学校(1,043m)・刈羽中学校(630m)
形状 - 道路 -
私道 - その他の制限 -
  • 刈羽郡刈羽村刈羽 売土地
    株式会社 アイエステート
  • この物件を問い合わせる/無料
  • TEL: 0257-24-2545

物件詳細情報

所在階/階数 - 号室 -
販売価格 5,000,000円 方位 -
間取り -
専有面積 - バルコニー面積 -
その他面積 - 駐車場 -
管理費 - 修繕積立金 -
現況 -
仲介手数料 231,000円
利用制限 -
設備 最寄り駅近く
取引態様 一般
備考 -
取り扱い会社

株式会社 アイエステート

新潟県柏崎市東港町4番1号

情報登録日 2024/06/06 次回更新予定日 2026/04/05
取引条件有効期限 2026/03/31
  • 刈羽郡刈羽村刈羽 売土地
    株式会社 アイエステート
  • この物件を問い合わせる/無料
  • TEL: 0257-24-2545

この物件の地図・周辺情報・行政情報

この物件の周辺情報・行政情報を詳しく見る
【周辺情報】
物件の近くにあるコンビニや銀行・学校など、アイコン付のマップで詳しく表示できます!
【行政情報】
水道料や下水道料・ガス料金など、暮らしに関係のある情報を表示しています。

担当取扱い店舗情報

取扱い店舗画像
株式会社 アイエステート
TEL: 0257-24-2545
所在地: 新潟県柏崎市東港町4番1号
交通: 柏崎駅
営業時間: 9:00~17:00/定休日:日曜日・祝日
免許番号: 新潟県知事(3)第5068号 この会社の情報を詳しく見る
所属団体名: 新潟県宅地建物取引協会 柏崎支部
取引態様: 一般
ホームページ: http://www.aiestate.co.jp/