| 物件コード | 00083-200033 | ||
|---|---|---|---|
| 物件名 | 刈羽郡刈羽村刈羽 売土地 | ||
| 交通 | 駅:越後線 刈羽駅から徒歩5分、バス:刈羽駅前から徒歩2分 | ||
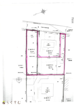
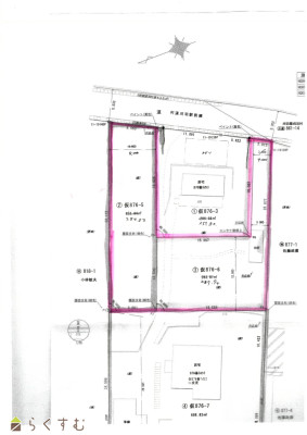
| 物件所在地 | 新潟県刈羽郡刈羽村刈羽876-5、876-6 | ||
| 物件種別 | 売土地・分譲地 | ||
| 物件区分 | 売土地 | ||
| 構造 | - | 階建 | - |
| 建ぺい率/容積率 | 70%/200% | ||
| 建物面積 | - | ||
| 土地面積 | 571.96㎡ /173.01坪 | ||
| 築年月 | - | ||
| 入居時期 | 相談 | ||
| 用途地域 | 無指定 | 地目 | 宅地 |
| 都市計画 | 非線引き都市計画区域 | 学校区 | 刈羽小学校(1,043m)・刈羽中学校(630m) |
| 形状 | - | 道路 | - |
| 私道 | - | ||
| 所在階/階数 | - | 号室 | - |
|---|---|---|---|
| 販売価格 | 5,000,000円 | 方位 | - |
| 間取り | - | ||
| 専有面積 | - | バルコニー面積 | - |
| その他面積 | - | 駐車場 | - |
| 管理費 | - | 修繕積立金 | - |
| 現況 | - | ||
| 仲介手数料 | 231,000円 | ||
| 利用制限 | - | ||
| 設備 | 最寄り駅近く | ||
| 取引態様 | 一般 | ||
| 備考 | - | ||
| 情報登録日 | 2024/06/06 | 次回更新予定日 | 2026/05/21 |
| 取引条件有効期限 | 2026/06/30 | ||
|
|
|
|
|
|
| TEL: | 0257-24-2545 |
|---|---|
| 所在地: | 新潟県柏崎市東港町4番1号 |
| 交通: | 柏崎駅 |
| 営業時間: | 9:00~17:00/定休日:日曜日・祝日 |
| 免許番号: | 新潟県知事(3)第5068号 |
| 所属団体名: | 新潟県宅地建物取引協会 柏崎支部 |
| 取引態様: | 一般 |