
柏崎市 春日2丁目 土地 詳細
お気に入り
追加済み
物件画像を詳しく見る

スーパー徒歩約7分
物件概要
医院、郵便局が近くにあります。
-
物件コード
00350-200055
-
物件名
柏崎市 春日2丁目 土地
-
交通
駅:越後線 東柏崎駅から徒歩20分、バス:春日2丁目から徒歩3分
-
所在地
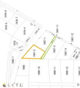
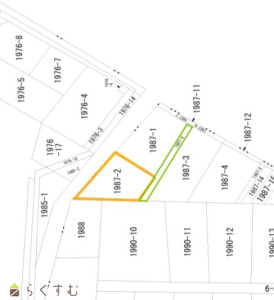
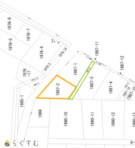
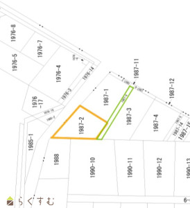
新潟県柏崎市春日2丁目8番2号
物件へのルート表示
-
物件種別
売土地・分譲地
-
物件区分
売土地
-
構造
-
-
階建
-
-
建ぺい率/容積率
60%/200%
-
建物面積
-
-
土地面積
195㎡
/58.98坪
-
築年月
-
-
入居時期
相談
-
用途地域
第1種低層住居専用地域
-
地目
山林 (現状:宅地)
-
都市計画
非線引き都市計画区域
-
形状
間口 9.5m
-
道路
前面土地(南側)を道路として申請が必要です。
-
私道
-
-
その他の制限
道路斜線制限・隣地斜線制限・日影規制
物件詳細情報
-
所在階/階数
-
-
号室
-
-
販売価格
500,000円
-
方位
-
-
間取り
-
-
専有面積
-
-
バルコニー面積
-
-
その他面積
-
-
駐車場
-
-
管理費
-
-
修繕積立金
-
-
現況
更地
-
仲介手数料
330,000円
-
利用制限
-
-
学校区
槇原小学校(900m)・瑞穂中学校(900m)
-
設備
スーパー近く、所有権、都市ガス(前面道路)、上水道(前面道路)、下水道(前面道路)、電気、都市ガス(宅地内)、上水道(宅地内)、下水道(宅地内)、住宅向け、田舎暮らし
-
取引態様
一般
-
情報登録日
2025/06/27
-
次回更新予定日
2026/05/02
-
取引条件有効期限
2025/12/31
備考
取扱い会社
株式会社裕建
Copyright (C) 株式会社 コモンライフ・コーポレーション. All Rights Reserved.
不動産検索サイト「らくすむ」及び関連サイトに記載の不動産情報は、会員規約に則り、情報提供会社様の責任のもとに発信されております。
不動産の賃借、購入に関しては賃借者、購入者ご自身が情報を確認され、会社企業様から説明を受けられたうえで判断をお願いいたします。
不動産検索サイト「らくすむ」及び関連サイトに記載の不動産情報、写真、デザイン、コンテンツなどの無断転載・転用・複製など禁止します。