
【希望が丘1丁目】売土地(更地渡し) 詳細
お気に入り
追加済み
物件画像を詳しく見る

R7.9.28価格変更いたしました。小中学校に至近の川西地区の閑静な住宅地。
物件概要
商業施設等への車でのアクセス性も良好。
-
物件コード
00322-200041
-
物件名
【希望が丘1丁目】売土地(更地渡し)
-
交通
駅:上越新幹線 長岡駅から徒歩51分、バス:西中学校前から徒歩2分
-
所在地
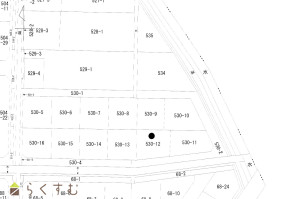
新潟県長岡市希望が丘1丁目530番地12
物件へのルート表示
-
物件種別
売土地・分譲地
-
物件区分
売土地
-
構造
-
-
階建
-
-
建ぺい率/容積率
50%/80%
-
建物面積
-
-
土地面積
231.97㎡
/70.17坪
-
築年月
-
-
入居時期
相談
-
用途地域
第1種低層住居専用地域
-
地目
宅地
-
都市計画
市街化区域
-
形状
間口 15.5m × 奥行 14m
-
道路
長岡市道西幹線34号線 幅員7.0m
-
私道
-
-
その他の制限
-
物件詳細情報
-
所在階/階数
-
-
号室
-
-
販売価格
12,900,000円
-
方位
-
-
間取り
-
-
専有面積
-
-
バルコニー面積
-
-
その他面積
-
-
駐車場
-
-
管理費
-
-
修繕積立金
-
-
現況
古家あり更地引渡可
-
仲介手数料
491,700円
-
利用制限
-
-
学校区
希望が丘小学校(331m)・西中学校(230m)
-
設備
前道6m以上、南側道路面す、学校近く、建築条件なし、所有権、都市ガス(宅地内)、上水道(宅地内)、下水道(宅地内)、住宅向け
-
取引態様
仲介
-
情報登録日
2026/03/09
-
次回更新予定日
2026/04/20
-
取引条件有効期限
2026/03/31
備考
取扱い会社
株式会社ミライ’s R Estate
Copyright (C) 株式会社 コモンライフ・コーポレーション. All Rights Reserved.
不動産検索サイト「らくすむ」及び関連サイトに記載の不動産情報は、会員規約に則り、情報提供会社様の責任のもとに発信されております。
不動産の賃借、購入に関しては賃借者、購入者ご自身が情報を確認され、会社企業様から説明を受けられたうえで判断をお願いいたします。
不動産検索サイト「らくすむ」及び関連サイトに記載の不動産情報、写真、デザイン、コンテンツなどの無断転載・転用・複製など禁止します。