
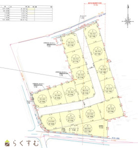
フロイデ東城町 区画13 詳細
お気に入り
追加済み
物件画像を詳しく見る
物件概要
-
物件コード
00159-200202
-
物件名
フロイデ東城町 区画13
-
交通
駅:妙高はねうまライン 高田駅から徒歩26分、バス:総合技術高校前から徒歩4分
-
所在地
新潟県上越市東城町3丁目
物件へのルート表示
-
物件種別
売土地・分譲地
-
物件区分
売土地
-
構造
-
-
階建
-
-
建ぺい率/容積率
60%/200%
-
建物面積
-
-
土地面積
216.54㎡
/65.5坪
-
築年月
-
-
入居時期
相談
-
用途地域
第1種中高層住居専用地域
-
地目
宅地 (現状:宅地)
-
都市計画
市街化区域
-
形状
間口 15.8m × 奥行 12.4m
-
道路
北側:公道 幅員6.5m
-
私道
-
-
その他の制限
都市計画道路有り、長期優良住宅の認定は受けられない
物件詳細情報
-
所在階/階数
-
-
号室
-
-
販売価格
8,600,000円
-
方位
-
-
間取り
-
-
専有面積
-
-
バルコニー面積
-
-
その他面積
-
-
駐車場
-
-
管理費
-
-
修繕積立金
-
-
現況
更地
-
仲介手数料
349,800円
-
利用制限
-
-
学校区
大手町小学校(1,329m)・城東中学校(149m)
-
設備
建築条件なし、所有権、即引き渡し可、上水道(前面道路)、下水道(前面道路)、電気、住宅向け
-
取引態様
仲介
-
情報登録日
2025/11/18
-
次回更新予定日
2025/12/29
-
取引条件有効期限
2026/03/31
備考
・建築の際に都市計画法53条の申請が必要
・埋蔵文化財包蔵地区に指定されています
・ガスの引込はありません
取扱い会社
アスナビ地所株式会社
Copyright (C) 株式会社 コモンライフ・コーポレーション. All Rights Reserved.
不動産検索サイト「らくすむ」及び関連サイトに記載の不動産情報は、会員規約に則り、情報提供会社様の責任のもとに発信されております。
不動産の賃借、購入に関しては賃借者、購入者ご自身が情報を確認され、会社企業様から説明を受けられたうえで判断をお願いいたします。
不動産検索サイト「らくすむ」及び関連サイトに記載の不動産情報、写真、デザイン、コンテンツなどの無断転載・転用・複製など禁止します。