
柏崎市西港町売土地 詳細
お気に入り
追加済み
物件画像を詳しく見る

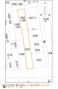
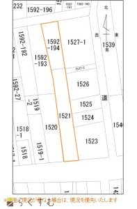
91.61坪(公簿)、みなとまち海浜公園徒歩3分、中央海水浴場まで徒歩6分※分割販売可能(要相談)
物件概要
-
物件コード
00088-200744
-
物件名
柏崎市西港町売土地
-
交通
駅:信越線 柏崎駅から徒歩17分、バス:西本町2丁目から徒歩4分
-
所在地
新潟県柏崎市西港町9番2号
物件へのルート表示
-
物件種別
売土地・分譲地
-
物件区分
売土地
-
構造
-
-
階建
-
-
建ぺい率/容積率
60%/200%
-
建物面積
-
-
土地面積
302.87㎡
/91.61坪
-
築年月
-
-
入居時期
相談
-
用途地域
第1種住居地域
-
地目
宅地
-
都市計画
非線引き都市計画区域
-
形状
-
-
道路
公道
-
私道
-
-
その他の制限
準防火地域・居住誘導区域
物件詳細情報
-
所在階/階数
-
-
号室
-
-
販売価格
5,500,000円
-
方位
-
-
間取り
-
-
専有面積
-
-
バルコニー面積
-
-
その他面積
-
-
駐車場
-
-
管理費
-
-
修繕積立金
-
-
現況
-
仲介手数料
330,000円
-
利用制限
-
-
学校区
柏崎小学校(609m)・第一中学校(822m)
-
設備
南側道路面す、更地、学校近く、分割可能、建築条件なし、所有権、即引き渡し可、電気、都市ガス(宅地内)、上水道(宅地内)、下水道(宅地内)、前面道路融雪設備あり、住宅向け
-
取引態様
専属専任
-
情報登録日
2024/11/08
-
次回更新予定日
2026/04/25
-
取引条件有効期限
2024/10/22
備考
・現況有姿での売買となります。
・分割販売可(要相談)
・測量の結果、面積が増減する可能性があります。
・仲介手数料別途
取扱い会社
株式会社 ホーメックス
-
TEL
0257-24-0034
-
所在地
新潟県柏崎市土合628-1
-
交通
-
営業時間
8:30~17:30/定休日:土・日・祝(対応可能です) 年末年始・お盆・GW
-
免許番号
新潟県知事(9)第3199号
-
所属団体名
新潟県宅地建物取引業協会 柏崎支部
-
取引態様
専属専任
Copyright (C) 株式会社 コモンライフ・コーポレーション. All Rights Reserved.
不動産検索サイト「らくすむ」及び関連サイトに記載の不動産情報は、会員規約に則り、情報提供会社様の責任のもとに発信されております。
不動産の賃借、購入に関しては賃借者、購入者ご自身が情報を確認され、会社企業様から説明を受けられたうえで判断をお願いいたします。
不動産検索サイト「らくすむ」及び関連サイトに記載の不動産情報、写真、デザイン、コンテンツなどの無断転載・転用・複製など禁止します。