
◆売地◆三条市林町二丁目 詳細
お気に入り
追加済み
物件画像を詳しく見る

小・中学校共に徒歩圏内!
物件概要
三条東公民館すぐ!
-
物件コード
00052-200198
-
物件名
◆売地◆三条市林町二丁目
-
交通
駅:弥彦線 北三条駅から徒歩14分、バス:東公民館から徒歩3分
-
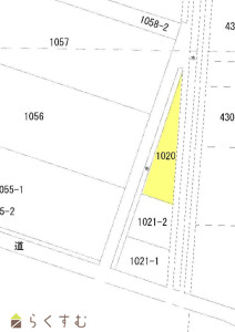
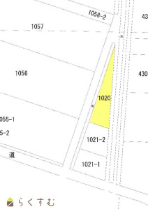
所在地
新潟県三条市林町2丁目13-34
物件へのルート表示
-
物件種別
売土地・分譲地
-
物件区分
売土地
-
構造
-
-
階建
-
-
建ぺい率/容積率
60%/200%
-
建物面積
-
-
土地面積
132㎡
/39.93坪
-
築年月
-
-
入居時期
随時入居(引き渡し)可
-
用途地域
第1種住居地域
-
地目
宅地 (現状:宅地)
-
都市計画
非線引き都市計画区域
-
形状
-
-
道路
西側:約2.6m 43条2項2号道路
-
私道
-
-
その他の制限
合併浄化槽の設置が必要です。
物件詳細情報
-
所在階/階数
-
-
号室
-
-
販売価格
5,200,000円
-
方位
-
-
間取り
-
-
専有面積
-
-
バルコニー面積
-
-
その他面積
-
-
駐車場
-
-
管理費
-
-
修繕積立金
-
-
現況
-
仲介手数料
330,000円
-
利用制限
-
-
学校区
一ノ木戸小学校(425m)・第二中学校(425m)
-
設備
更地、学校近く、閑静な住宅街、建築条件なし、所有権、即引き渡し可、上水道(前面道路)、上水道(宅地内)、住宅向け
-
取引態様
専任
-
情報登録日
2024/12/09
-
次回更新予定日
2026/04/25
-
取引条件有効期限
2024/09/01
備考
取扱い会社
株式会社 ユタカ不動産
Copyright (C) 株式会社 コモンライフ・コーポレーション. All Rights Reserved.
不動産検索サイト「らくすむ」及び関連サイトに記載の不動産情報は、会員規約に則り、情報提供会社様の責任のもとに発信されております。
不動産の賃借、購入に関しては賃借者、購入者ご自身が情報を確認され、会社企業様から説明を受けられたうえで判断をお願いいたします。
不動産検索サイト「らくすむ」及び関連サイトに記載の不動産情報、写真、デザイン、コンテンツなどの無断転載・転用・複製など禁止します。