
関原町3丁目 売土地 66坪 詳細
お気に入り
追加済み
物件画像を詳しく見る
物件概要
-
物件コード
00014-200267
-
物件名
関原町3丁目 売土地 66坪
-
交通
駅:信越線 来迎寺駅から徒歩97分、バス:池の端から徒歩3分
-
所在地
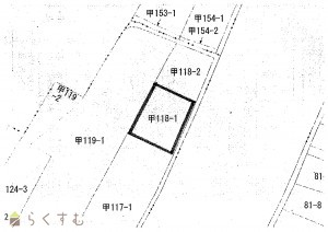
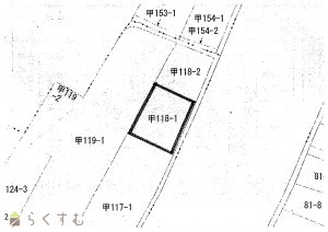
新潟県長岡市関原町3丁目118-1
物件へのルート表示
-
物件種別
売土地・分譲地
-
物件区分
売土地
-
構造
-
-
階建
-
-
建ぺい率/容積率
60%/200%
-
建物面積
-
-
土地面積
219.23㎡
/66.31坪
-
築年月
-
-
入居時期
相談
-
用途地域
第1種住居地域
-
地目
宅地 (現状:更地)
-
都市計画
市街化区域
-
形状
間口 15.5m × 奥行 12.5m
-
道路
二項道路
-
私道
-
-
その他の制限
セットバックが必要です。
物件詳細情報
-
所在階/階数
-
-
号室
-
-
販売価格
2,380,000円
-
方位
-
-
間取り
-
-
専有面積
-
-
バルコニー面積
-
-
その他面積
-
-
駐車場
-
-
管理費
-
-
修繕積立金
-
-
現況
-
仲介手数料
330,000円
-
利用制限
-
-
学校区
関原小学校(159m)・関原中学校(616m)
-
設備
整形地、更地、学校近く、閑静な住宅街、建築条件なし、所有権、即引き渡し可、都市ガス(前面道路)、上水道(前面道路)、下水道(前面道路)、住宅向け
-
取引態様
一般
-
情報登録日
2024/12/12
-
次回更新予定日
2026/04/27
-
取引条件有効期限
2025/03/31
備考
取扱い会社
株式会社 金井不動産
-
TEL
0120-35-3901
-
所在地
新潟県長岡市要町3-1-26
-
交通
長岡駅大手口①バス乗場より乗車~溝橋下車徒歩約4分
-
営業時間
9:30~18:00/定休日:日曜・祝祭日
-
免許番号
新潟県知事(16)第495号
-
所属団体名
新潟県宅地建物取引業協会 長岡支部
-
取引態様
一般
Copyright (C) 株式会社 コモンライフ・コーポレーション. All Rights Reserved.
不動産検索サイト「らくすむ」及び関連サイトに記載の不動産情報は、会員規約に則り、情報提供会社様の責任のもとに発信されております。
不動産の賃借、購入に関しては賃借者、購入者ご自身が情報を確認され、会社企業様から説明を受けられたうえで判断をお願いいたします。
不動産検索サイト「らくすむ」及び関連サイトに記載の不動産情報、写真、デザイン、コンテンツなどの無断転載・転用・複製など禁止します。