1
物件掲載企業数:
301
社
|賃貸物件:
3,175
件|売買物件:
3,245
件|今週の登録物件:
72
件
閲覧中のブラウザ(インターネットエクスプローラー)は非推奨ブラウザです。
物件が正しく表示されなかったり、正しく検索されない場合があります。最新のブラウザ(Google Chrome・Edgeなど)にてご利用お願いいたします。
Google Chrome
Microsoft Edge
アパート・マンション・一戸建て
駐車場
貸土地
店舗
事務所
倉庫・工場
新築分譲マンション
中古マンション
新築一戸建て
中古一戸建て
売土地・分譲地
その他(投資物件など)
マンション
一戸建て
土地
ホーム
>
会社情報
>
物件種別選択
> 物件一覧
株式会社 長岡総合開発
の
売土地・分譲地
物件情報
46件
該当しました。
1
2
3
次のページ>
表示切替:
一覧表示
/
地図表示
並び替え:
指定なし
新着順
価格が安い順
価格が高い順
画像
物件名/所在地/取扱店
詳細
道の駅天領の里・日本海夕日公園近く♪
三島郡出雲崎町大字尼瀬売土地
新潟県三島郡出雲崎町尼瀬314
株式会社 長岡総合開発
価格
:
100,000
円
土地面積
:267.23㎡ /80.83坪
坪単価
:1,237円/坪
建ぺい率
:-
容積率
:-
前面道路消雪設備完備
見附市学校町2丁目売土地
新潟県見附市学校町2丁目6-12
株式会社 長岡総合開発
価格
:
1,000,000
円
土地面積
:126㎡ /38.11坪
坪単価
:26,239円/坪
建ぺい率
:60%
容積率
:200%
ショッピングエリアまで1km以内♪農作業が楽しめるのどかな環境です♪
巻渕3丁目売土地
新潟県長岡市巻渕525番1他4筆
株式会社 長岡総合開発
価格
:
1,880,000
円
土地面積
:387.09㎡ /117.09坪
坪単価
:16,056円/坪
建ぺい率
:60%
容積率
:200%
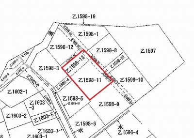
小千谷駅まで徒歩約10分。小中学校徒歩圏内です♪
小千谷市大字薭生(元中子)売土地
新潟県小千谷市大字薭生1598番地11
株式会社 長岡総合開発
価格
:
2,500,000
円
土地面積
:265.54㎡ /80.32坪
坪単価
:31,125円/坪
建ぺい率
:60%
容積率
:200%
令和6年9月30日付値下げしました。【320万円→250万円】
長岡市金町1丁目売土地
新潟県長岡市金町1丁目4-34
株式会社 長岡総合開発
価格
:
2,500,000
円
土地面積
:229.91㎡ /69.54坪
坪単価
:35,950円/坪
建ぺい率
:60%
容積率
:200%
県道沿いに面した南西角地の土地です。
長岡市成沢町売土地
新潟県長岡市成沢町747-1
株式会社 長岡総合開発
価格
:
3,200,000
円
土地面積
:208.04㎡ /62.93坪
坪単価
:50,850円/坪
建ぺい率
:70%
容積率
:200%
宅地内消雪設備あり(共同)令和5年9月16日価格改定385万円→335万円
小千谷市片貝町売土地
新潟県小千谷市片貝町5360-1
株式会社 長岡総合開発
価格
:
3,350,000
円
土地面積
:187.73㎡ /56.78坪
坪単価
:58,999円/坪
建ぺい率
:60%
容積率
:200%
越後滝谷駅前 前面道路消雪設備完備
滝谷町売土地
新潟県長岡市滝谷町1812-8
株式会社 長岡総合開発
価格
:
3,500,000
円
土地面積
:165㎡ /49.91坪
坪単価
:70,126円/坪
建ぺい率
:70%
容積率
:200%
国道352号沿い♪価格応談です。
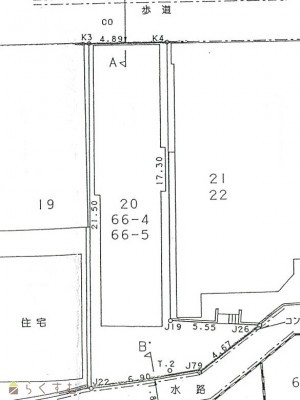
新町二丁目売土地
新潟県長岡市新町2丁目20番、66番4、66番5
株式会社 長岡総合開発
価格
:
4,250,000
円
土地面積
:117.3㎡ /35.48坪
坪単価
:119,785円/坪
建ぺい率
:80%
容積率
:300%
建物解体更地渡し 前面道路消雪設備あり
長岡市滝谷町売土地
新潟県長岡市滝谷町301-2
株式会社 長岡総合開発
価格
:
4,450,000
円
土地面積
:210.04㎡ /63.53坪
坪単価
:70,045円/坪
建ぺい率
:70%
容積率
:200%
希少な雨池エリアです♪角地です♪
雨池町売土地
新潟県長岡市雨池町字木ノ下60番3
株式会社 長岡総合開発
価格
:
4,580,000
円
土地面積
:144㎡ /43.56坪
坪単価
:105,142円/坪
建ぺい率
:70%
容積率
:200%
建物解体更地渡し リップス旭岡へアクセス良好
長岡市高畑町売土地
新潟県長岡市高畑町619-12
株式会社 長岡総合開発
価格
:
4,800,000
円
土地面積
:210.54㎡ /63.68坪
坪単価
:75,376円/坪
建ぺい率
:70%
容積率
:200%
北東角地 前面道路消雪設備完備 商業施設リップス旭岡、花園ショッピングセンターが誕生し利便性が良くなりました。立川綜合病院他、小児科・眼科・歯科などクリニックも充実してます。
長岡市高町1丁目売土地
新潟県長岡市高町1丁目59-66
株式会社 長岡総合開発
価格
:
4,800,000
円
土地面積
:237.77㎡ /71.92坪
坪単価
:66,740円/坪
建ぺい率
:50%
容積率
:80%
【建物解体更地渡し】 令和6年2月9日価格改定550万円→498万円
上除町売土地
新潟県長岡市上除町甲237-3
株式会社 長岡総合開発
価格
:
4,980,000
円
土地面積
:165.4㎡ /50.03坪
坪単価
:99,540円/坪
建ぺい率
:60%
容積率
:200%
県道長岡見附線沿い 3方道路
見附市下新町売土地
新潟県見附市下新町881
株式会社 長岡総合開発
価格
:
5,000,000
円
土地面積
:1,191.16㎡ /360.32坪
坪単価
:13,876円/坪
建ぺい率
:70%
容積率
:200%
滝谷駅前の整形地
長岡市滝谷町売土地
新潟県長岡市滝谷町1812-2
株式会社 長岡総合開発
価格
:
5,000,000
円
土地面積
:236.11㎡ /71.42坪
坪単価
:70,008円/坪
建ぺい率
:70%
容積率
:200%
春には茶郷川沿いの桜並木が綺麗です 小千谷小学校まで徒歩約8原信マーケットシティ小千谷、ホームセンター、ドラックストア、飲食店まで車で約4分 利便性の良いところです。
小千谷市土川2丁目売土地
新潟県小千谷市土川2丁目2009
株式会社 長岡総合開発
価格
:
5,000,000
円
土地面積
:196㎡ /59.29坪
坪単価
:84,331円/坪
建ぺい率
:50%
容積率
:150%
国道8号沿い♪各方面アクセス良好です♪
関原南三丁目売土地
新潟県長岡市関原南三丁目4887番1
株式会社 長岡総合開発
価格
:
5,022,600
円
土地面積
:150.95㎡ /45.66坪
坪単価
:110,000円/坪
建ぺい率
:60%
容積率
:200%
561万円→523万円(2026/4/9改訂)七日町ショッピングエリア徒歩圏内♪希少な福山町の売土地です♪解体更地渡しです♪
福山町売土地
新潟県長岡市福山町字中ノ坪289番1
株式会社 長岡総合開発
価格
:
5,230,000
円
土地面積
:123.55㎡ /37.37坪
坪単価
:139,951円/坪
建ぺい率
:70%
容積率
:200%
日越小学校まで徒歩約2分
長岡市宝地町売土地
新潟県長岡市宝地町205-1
株式会社 長岡総合開発
価格
:
5,370,000
円
土地面積
:310.32㎡ /93.87坪
坪単価
:57,206円/坪
建ぺい率
:60%
容積率
:200%
表示切替:
一覧表示
/
地図表示
並び替え:
指定なし
新着順
価格が安い順
価格が高い順
価格は物件の代金総額を表示しており、消費税が課税される場合は税込み価格です。
建築条件付き土地価格には、建物価格は含まれません。
物件情報の詳細については取り扱い店までお問い合わせください。
完成予想図はいずれも外構・植栽・外観等実際のものと異なることが多少あります。
CG合成の画像の場合実際と異なることが多少あります。
完成後1年以上経過したものが未入居として記載される場合があります。ご了承ください。
販売予定物件は販売開始するまで契約または予約の申し込みはできません。
ご購入の場合物件詳細や契約内容についてご自身で十分ご確認いただきますようよろしく御願いします。
建築条件付きとは…その土地に建築する建物の建築請負契約が、一定期間内に成立することを条件として売買される土地のことをいいます。請負契約成立に向けて設計プランを協議するため、土地購入者が希望する建物にするために一定の期間(概ね3ヶ月)交渉期間としその期間内に希望するプランが実現できたかどうかによって土地の購入の判断をします。納得のいくプランができず請負契約が未成立になった場合、土地契約にかかった代金(手付金など)は、すべて返却されます。
46件
該当しました。
1
2
3
次のページ>
0件
がマッチ
基本条件
物件種別
売土地・分譲地
詳細種別
売土地
分譲地
価格
下限なし
100万円
250万円
500万円
1000万円
1500万円
2000万円
2500万円
3000万円
3500万円
4000万円
4500万円
5000万円
5500万円
6000万円
6500万円
7000万円
7500万円
8000万円
8500万円
9000万円
9500万円
1億円
~
上限なし
100万円
250万円
500万円
1000万円
1500万円
2000万円
2500万円
3000万円
3500万円
4000万円
4500万円
5000万円
5500万円
6000万円
6500万円
7000万円
7500万円
8000万円
8500万円
9000万円
9500万円
1億円
間取り
ワンルーム
1K
1DK
1LDK
2K
2DK
2LDK
3K
3DK
3LDK
4K
4DK
4LDK以上
専有面積
下限なし
20㎡
30㎡
40㎡
50㎡
60㎡
70㎡
80㎡
90㎡
100㎡
~
上限なし
20㎡
30㎡
40㎡
50㎡
60㎡
70㎡
80㎡
90㎡
100㎡
土地面積
下限なし
60㎡ (約18坪)
70㎡ (約21坪)
80㎡ (約24坪)
90㎡ (約27坪)
100㎡ (約30坪)
110㎡ (約33坪)
120㎡ (約36坪)
130㎡ (約39坪)
140㎡ (約42坪)
150㎡ (約45坪)
160㎡ (約48坪)
170㎡ (約51坪)
180㎡ (約54坪)
190㎡ (約57坪)
200㎡ (約60坪)
250㎡ (約75坪)
300㎡ (約90坪)
~
上限なし
60㎡ (約18坪)
70㎡ (約21坪)
80㎡ (約24坪)
90㎡ (約27坪)
100㎡ (約30坪)
110㎡ (約33坪)
120㎡ (約36坪)
130㎡ (約39坪)
140㎡ (約42坪)
150㎡ (約45坪)
160㎡ (約48坪)
170㎡ (約51坪)
180㎡ (約54坪)
190㎡ (約57坪)
200㎡ (約60坪)
250㎡ (約75坪)
300㎡ (約90坪)
建物面積
下限なし
60㎡ (約18坪)
70㎡ (約21坪)
80㎡ (約24坪)
90㎡ (約27坪)
100㎡ (約30坪)
110㎡ (約33坪)
120㎡ (約36坪)
130㎡ (約39坪)
140㎡ (約42坪)
150㎡ (約45坪)
160㎡ (約48坪)
170㎡ (約51坪)
180㎡ (約54坪)
190㎡ (約57坪)
200㎡ (約60坪)
250㎡ (約75坪)
300㎡ (約90坪)
~
上限なし
60㎡ (約18坪)
70㎡ (約21坪)
80㎡ (約24坪)
90㎡ (約27坪)
100㎡ (約30坪)
110㎡ (約33坪)
120㎡ (約36坪)
130㎡ (約39坪)
140㎡ (約42坪)
150㎡ (約45坪)
160㎡ (約48坪)
170㎡ (約51坪)
180㎡ (約54坪)
190㎡ (約57坪)
200㎡ (約60坪)
250㎡ (約75坪)
300㎡ (約90坪)
坪単価
下限なし
5万円
10万円
15万円
20万円
25万円
30万円
35万円
40万円
45万円
50万円
~
上限なし
5万円
10万円
15万円
20万円
25万円
30万円
35万円
40万円
45万円
50万円
築年数
指定なし
新築
3年以内
5年以内
10年以内
15年以内
20年以内
方位
北
北東
東
南東
南
南西
西
北西
おすすめ条件
ペット可・相談
楽器可・相談
情報公開日
指定なし
本日
3日以内
1週間以内
1ヶ月以内
0件
がマッチ
人気のあるこだわり条件
高台に立地(4)
角地(13)
整形地(28)
前道6m以上(32)
南側道路面す(13)
更地(15)
学校近く(18)
スーパー近く(4)
最寄り駅近く(4)
閑静な住宅街(27)
分割可能(3)
建築条件なし(41)
所有権(46)
即引き渡し可(17)
側溝(15)
都市ガス(前面道路)(17)
LPG(8)
上水道(前面道路)(17)
下水道(前面道路)(13)
電気(14)
都市ガス(宅地内)(23)
上水道(宅地内)(29)
下水道(宅地内)(33)
前面道路融雪設備あり(17)
住宅向け(42)
事業用向け(8)
別荘地(2)
田舎暮らし(2)
条件に合った物件数は、
0 件
です。
立地・環境
高台に立地(4)
角地(13)
整形地(28)
前道6m以上(32)
南側道路面す(13)
更地(15)
学校近く(18)
スーパー近く(4)
最寄り駅近く(4)
閑静な住宅街(27)
用途・制限
分割可能(3)
建築条件なし(41)
引渡・条件
所有権(46)
即引き渡し可(17)
設備
側溝(15)
都市ガス(前面道路)(17)
LPG(8)
上水道(前面道路)(17)
下水道(前面道路)(13)
電気(14)
都市ガス(宅地内)(23)
上水道(宅地内)(29)
下水道(宅地内)(33)
前面道路融雪設備あり(17)
その他
住宅向け(42)
事業用向け(8)
別荘地(2)
田舎暮らし(2)
条件に合った物件数は、
0 件
です。
アパート・マンション・一戸建て
/
駐車場
/
貸土地
/
店舗
/
事務所
/
倉庫・工場
新築分譲マンション
/
中古マンション
/
新築一戸建て
/
中古一戸建て
/
売土地
/
投資物件・その他
マンション
/
一戸建て
/
土地
建てる・リフォーム
物件掲載企業一覧
掲載希望の企業様へ
新潟の不動産情報サイト
サービス利用規約
運営会社
サイトマップ
プライバシーポリシー
お問い合わせ
リンク
Copyright (C)
株式会社 コモンライフ・コーポレーション
. All Rights Reserved.
新潟・長岡・柏崎の賃貸・マンション・アパート・住宅の不動産物件情報サイト
不動産検索サイト「らくすむ」及び関連サイトに記載の不動産情報は、会員規約に則り、情報提供会社様の責任のもとに発信されております。
不動産の賃借、購入に関しては賃借者、購入者ご自身が情報を確認され、会社企業様から説明を受けられたうえで判断をお願いいたします。
不動産検索サイト「らくすむ」及び関連サイトに記載の不動産情報、写真、デザイン、コンテンツなどの
無断転載・転用・複製
など禁止します。