1
物件掲載企業数:
297
社
|賃貸物件:
3,612
件|売買物件:
3,318
件|今週の登録物件:
232
件
閲覧中のブラウザ(インターネットエクスプローラー)は非推奨ブラウザです。
物件が正しく表示されなかったり、正しく検索されない場合があります。最新のブラウザ(Google Chrome・Edgeなど)にてご利用お願いいたします。
Google Chrome
Microsoft Edge
アパート・マンション・一戸建て
駐車場
貸土地
店舗
事務所
倉庫・工場
新築分譲マンション
中古マンション
新築一戸建て
中古一戸建て
売土地・分譲地
その他(投資物件など)
マンション
一戸建て
土地
ホーム
>
会社情報
>
物件種別選択
> 物件一覧
全エリア
の
売土地・分譲地
物件情報
2082件
該当しました。
<前のページ
68
69
70
71
72
73
74
75
76
77
78
次のページ>
表示切替:
一覧表示
/
地図表示
並び替え:
指定なし
新着順
価格が安い順
価格が高い順
画像
物件名/所在地/取扱店
詳細
【売土地】人気の有田小学校まで徒歩約7分!閑静な住宅街の約78坪広々角地です。国道8号線・18号線バイパスへのアクセスも良好!
【建築条件付】上越市上源入400-1売土地
新潟県上越市上源入字原新田400番1
株式会社アオキ住建 AT HOME LABO
価格
:
7,600,000
円
土地面積
:259.96㎡ /78.63坪
坪単価
:96,655円/坪
建ぺい率
:60%
容積率
:80%
解体更地渡し!土地面積100坪以上!
浦 売土地
新潟県長岡市浦6348-1
ハウスドゥ 長岡中央店
価格
:
7,600,000
円
土地面積
:433.54㎡ /131.14坪
坪単価
:57,953円/坪
建ぺい率
:70%
容積率
:200%
有田小学校区 94.78坪
ゆとりある三ツ橋の土地≪建築条件付≫
新潟県上越市三ツ橋545-1
ピタットハウス上越店 日建不動産
価格
:
7,600,000
円
土地面積
:313.34㎡ /94.78坪
坪単価
:80,185円/坪
建ぺい率
:70%
容積率
:200%
福住3丁目売地
新潟県長岡市福住3丁目4-40
佐藤リアルティ 株式会社
価格
:
7,640,000
円
土地面積
:114.78㎡ /34.72坪
坪単価
:220,046円/坪
建ぺい率
:80%
容積率
:300%
雪に強い丸屋根のシャッター付きガレージが付いています
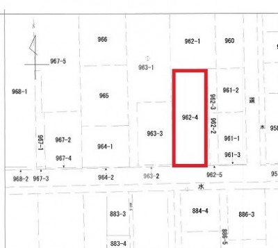
魚沼市佐梨 売土地
新潟県魚沼市佐梨字沢田962-4
有限会社 高治企画
価格
:
7,686,000
円
土地面積
:363㎡ /109.8坪
坪単価
:70,000円/坪
建ぺい率
:-
容積率
:-
区画13
上越市五智3丁目970-5
株式会社 武江組
価格
:
7,687,710
円
土地面積
:313.77㎡ /94.91坪
坪単価
:81,000円/坪
建ぺい率
:50%
容積率
:80%
消雪パイプ敷設済!774万円→770万円に値引きしました!!
三条市西裏館3 分譲地⑧
新潟県三条市西裏館三丁目380番1他
株式会社 ユタカ不動産
価格
:
7,700,000
円
土地面積
:175.24㎡ /53.01坪
坪単価
:145,255円/坪
建ぺい率
:50%
容積率
:100%
雁木通りに面する住宅地
上越市東本町3丁目
新潟県上越市東本町3丁目49-1
株式会社 高野不動産販売
価格
:
7,700,000
円
土地面積
:510.8㎡ /154.51坪
坪単価
:49,834円/坪
建ぺい率
:60%
容積率
:200%
県道与板北野線に面していて事業用などに適した土地
長岡市与板町本与板 売地
新潟県長岡市与板町本与板字北向3765番1
株式会社 宮本村
価格
:
7,700,000
円
土地面積
:989㎡ /299.17坪
坪単価
:25,737円/坪
建ぺい率
:70%
容積率
:200%
人気の比角小学校区!!
柏崎市扇町②/55坪売土地
新潟県柏崎市扇町4−61−4付近
株式会社 阿部建設
価格
:
7,750,000
円
土地面積
:182.08㎡ /55.07坪
坪単価
:140,729円/坪
建ぺい率
:60%
容積率
:200%
田尻小学校区の広大地! 事業用の他、住宅用地として(分割販売も相談下さい)
上田尻 売土地389坪(分割販売可!)
新潟県柏崎市上田尻字池の頭3878-1、3883-1
株式会社 ライフプラン
価格
:
7,780,000
円
土地面積
:1,287㎡ /389.31坪
坪単価
:19,984円/坪
建ぺい率
:70%
容積率
:200%
柏崎駅南口まで徒歩約6分
柳橋町77坪売土地
新潟県柏崎市柳橋町732-1
株式会社 ai-will
価格
:
7,781,000
円
土地面積
:257.25㎡ /77.81坪
坪単価
:100,000円/坪
建ぺい率
:60%
容積率
:200%
小千谷市上ノ山四丁目 売地
新潟県小千谷市上ノ山4丁目1884番11
有限会社トーザイ
価格
:
7,800,000
円
土地面積
:413.82㎡ /125.18坪
坪単価
:62,310円/坪
建ぺい率
:60%
容積率
:200%
長岡駅から徒歩15分圏内。静かな環境の住宅・商業用地に最適
【長岡市福住3丁目】売土地
新潟県長岡市福住3丁目29番4
株式会社ミライ’s R Estate
価格
:
7,800,000
円
土地面積
:134.77㎡ /40.76坪
坪単価
:191,364円/坪
建ぺい率
:80%
容積率
:300%
♪人気の川崎エリア アクロスプラザ 原信川崎エリア リップスガーデン近く♪
【川崎三丁目 売土地】 36.3坪②
新潟県長岡市川崎3丁目2209番4 外
株式会社ミライ’s R Estate
価格
:
7,800,000
円
土地面積
:120.1㎡ /36.33坪
坪単価
:214,698円/坪
建ぺい率
:60%
容積率
:200%
賃貸住宅事業・社員寮用地として最適地
松波4丁目
新潟県柏崎市松波4丁目2046番14、2046番32
株式会社 能澤技建
価格
:
7,800,000
円
土地面積
:849㎡ /256.82坪
坪単価
:30,371円/坪
建ぺい率
:60%
容積率
:200%
☆人気の川崎エリアの整形地 インフラ引き込み有 国道8号線川崎インター近く☆
【川崎三丁目 売土地】 36.3坪①
新潟県長岡市川崎3丁目2209番4 外 地内
株式会社ミライ’s R Estate
価格
:
7,800,000
円
土地面積
:120.1㎡ /36.33坪
坪単価
:214,698円/坪
建ぺい率
:60%
容積率
:200%
稲場公園の隣接地で広々ゆとりのある200坪♪小学校も近く好立地(^_^)
関原町1丁目売土地
新潟県長岡市関原町1丁目5244番 他7筆
有限会社 竹内不動産
価格
:
7,800,000
円
土地面積
:689.55㎡ /208.58坪
坪単価
:37,395円/坪
建ぺい率
:60%
容積率
:200%
敷地約153坪で上越大通りに面します!!
上越市南本町1丁目 780万円
新潟県上越市南本町1丁目
有限会社 よつば不動産
価格
:
7,800,000
円
土地面積
:506.93㎡ /153.34坪
坪単価
:50,867円/坪
建ぺい率
:60%
容積率
:200%
◆オーシャンビュー物件♪海目の前♪建築条件なし♪
◆オーシャンビュー♪(海の見える土地)
新潟県上越市中央3-6-12
株式会社 昭和林業の家
価格
:
7,800,000
円
土地面積
:294.01㎡ /88.93坪
坪単価
:87,709円/坪
建ぺい率
:60%
容積率
:200%
表示切替:
一覧表示
/
地図表示
並び替え:
指定なし
新着順
価格が安い順
価格が高い順
価格は物件の代金総額を表示しており、消費税が課税される場合は税込み価格です。
建築条件付き土地価格には、建物価格は含まれません。
物件情報の詳細については取り扱い店までお問い合わせください。
完成予想図はいずれも外構・植栽・外観等実際のものと異なることが多少あります。
CG合成の画像の場合実際と異なることが多少あります。
完成後1年以上経過したものが未入居として記載される場合があります。ご了承ください。
販売予定物件は販売開始するまで契約または予約の申し込みはできません。
ご購入の場合物件詳細や契約内容についてご自身で十分ご確認いただきますようよろしく御願いします。
建築条件付きとは…その土地に建築する建物の建築請負契約が、一定期間内に成立することを条件として売買される土地のことをいいます。請負契約成立に向けて設計プランを協議するため、土地購入者が希望する建物にするために一定の期間(概ね3ヶ月)交渉期間としその期間内に希望するプランが実現できたかどうかによって土地の購入の判断をします。納得のいくプランができず請負契約が未成立になった場合、土地契約にかかった代金(手付金など)は、すべて返却されます。
2082件
該当しました。
<前のページ
68
69
70
71
72
73
74
75
76
77
78
次のページ>
0件
がマッチ
基本条件
物件種別
売土地・分譲地
詳細種別
売土地
分譲地
価格
下限なし
100万円
250万円
500万円
1000万円
1500万円
2000万円
2500万円
3000万円
3500万円
4000万円
4500万円
5000万円
5500万円
6000万円
6500万円
7000万円
7500万円
8000万円
8500万円
9000万円
9500万円
1億円
~
上限なし
100万円
250万円
500万円
1000万円
1500万円
2000万円
2500万円
3000万円
3500万円
4000万円
4500万円
5000万円
5500万円
6000万円
6500万円
7000万円
7500万円
8000万円
8500万円
9000万円
9500万円
1億円
間取り
ワンルーム
1K
1DK
1LDK
2K
2DK
2LDK
3K
3DK
3LDK
4K
4DK
4LDK以上
専有面積
下限なし
20㎡
30㎡
40㎡
50㎡
60㎡
70㎡
80㎡
90㎡
100㎡
~
上限なし
20㎡
30㎡
40㎡
50㎡
60㎡
70㎡
80㎡
90㎡
100㎡
土地面積
下限なし
60㎡ (約18坪)
70㎡ (約21坪)
80㎡ (約24坪)
90㎡ (約27坪)
100㎡ (約30坪)
110㎡ (約33坪)
120㎡ (約36坪)
130㎡ (約39坪)
140㎡ (約42坪)
150㎡ (約45坪)
160㎡ (約48坪)
170㎡ (約51坪)
180㎡ (約54坪)
190㎡ (約57坪)
200㎡ (約60坪)
250㎡ (約75坪)
300㎡ (約90坪)
~
上限なし
60㎡ (約18坪)
70㎡ (約21坪)
80㎡ (約24坪)
90㎡ (約27坪)
100㎡ (約30坪)
110㎡ (約33坪)
120㎡ (約36坪)
130㎡ (約39坪)
140㎡ (約42坪)
150㎡ (約45坪)
160㎡ (約48坪)
170㎡ (約51坪)
180㎡ (約54坪)
190㎡ (約57坪)
200㎡ (約60坪)
250㎡ (約75坪)
300㎡ (約90坪)
建物面積
下限なし
60㎡ (約18坪)
70㎡ (約21坪)
80㎡ (約24坪)
90㎡ (約27坪)
100㎡ (約30坪)
110㎡ (約33坪)
120㎡ (約36坪)
130㎡ (約39坪)
140㎡ (約42坪)
150㎡ (約45坪)
160㎡ (約48坪)
170㎡ (約51坪)
180㎡ (約54坪)
190㎡ (約57坪)
200㎡ (約60坪)
250㎡ (約75坪)
300㎡ (約90坪)
~
上限なし
60㎡ (約18坪)
70㎡ (約21坪)
80㎡ (約24坪)
90㎡ (約27坪)
100㎡ (約30坪)
110㎡ (約33坪)
120㎡ (約36坪)
130㎡ (約39坪)
140㎡ (約42坪)
150㎡ (約45坪)
160㎡ (約48坪)
170㎡ (約51坪)
180㎡ (約54坪)
190㎡ (約57坪)
200㎡ (約60坪)
250㎡ (約75坪)
300㎡ (約90坪)
坪単価
下限なし
5万円
10万円
15万円
20万円
25万円
30万円
35万円
40万円
45万円
50万円
~
上限なし
5万円
10万円
15万円
20万円
25万円
30万円
35万円
40万円
45万円
50万円
築年数
指定なし
新築
3年以内
5年以内
10年以内
15年以内
20年以内
方位
北
北東
東
南東
南
南西
西
北西
おすすめ条件
ペット可・相談
楽器可・相談
情報公開日
指定なし
本日
3日以内
1週間以内
1ヶ月以内
0件
がマッチ
人気のあるこだわり条件
高台に立地(106)
角地(398)
整形地(731)
前道6m以上(1007)
南側道路面す(388)
更地(1241)
学校近く(562)
スーパー近く(418)
最寄り駅近く(228)
閑静な住宅街(956)
分割可能(51)
建築条件なし(1538)
所有権(1648)
即引き渡し可(686)
側溝(716)
都市ガス(前面道路)(827)
LPG(163)
上水道(前面道路)(920)
下水道(前面道路)(851)
浄化槽(83)
電気(951)
都市ガス(宅地内)(843)
上水道(宅地内)(1080)
下水道(宅地内)(990)
前面道路融雪設備あり(418)
その他水道(1)
住宅向け(1442)
事業用向け(318)
別荘地(118)
田舎暮らし(227)
条件に合った物件数は、
0 件
です。
立地・環境
高台に立地(106)
角地(398)
整形地(731)
前道6m以上(1007)
南側道路面す(388)
更地(1241)
学校近く(562)
スーパー近く(418)
最寄り駅近く(228)
閑静な住宅街(956)
用途・制限
分割可能(51)
建築条件なし(1538)
引渡・条件
所有権(1648)
即引き渡し可(686)
設備
側溝(716)
都市ガス(前面道路)(827)
LPG(163)
上水道(前面道路)(920)
下水道(前面道路)(851)
浄化槽(83)
電気(951)
都市ガス(宅地内)(843)
上水道(宅地内)(1080)
下水道(宅地内)(990)
前面道路融雪設備あり(418)
その他水道(1)
その他
住宅向け(1442)
事業用向け(318)
別荘地(118)
田舎暮らし(227)
条件に合った物件数は、
0 件
です。
アパート・マンション・一戸建て
/
駐車場
/
貸土地
/
店舗
/
事務所
/
倉庫・工場
新築分譲マンション
/
中古マンション
/
新築一戸建て
/
中古一戸建て
/
売土地
/
投資物件・その他
マンション
/
一戸建て
/
土地
建てる・リフォーム
物件掲載企業一覧
掲載希望の企業様へ
新潟の不動産情報サイト
サービス利用規約
運営会社
サイトマップ
プライバシーポリシー
お問い合わせ
リンク
Copyright (C)
株式会社 コモンライフ・コーポレーション
. All Rights Reserved.
新潟・長岡・柏崎の賃貸・マンション・アパート・住宅の不動産物件情報サイト
不動産検索サイト「らくすむ」及び関連サイトに記載の不動産情報は、会員規約に則り、情報提供会社様の責任のもとに発信されております。
不動産の賃借、購入に関しては賃借者、購入者ご自身が情報を確認され、会社企業様から説明を受けられたうえで判断をお願いいたします。
不動産検索サイト「らくすむ」及び関連サイトに記載の不動産情報、写真、デザイン、コンテンツなどの
無断転載・転用・複製
など禁止します。