1
物件掲載企業数:
299
社
|賃貸物件:
2,911
件|売買物件:
3,226
件|今週の登録物件:
353
件
閲覧中のブラウザ(インターネットエクスプローラー)は非推奨ブラウザです。
物件が正しく表示されなかったり、正しく検索されない場合があります。最新のブラウザ(Google Chrome・Edgeなど)にてご利用お願いいたします。
Google Chrome
Microsoft Edge
アパート・マンション・一戸建て
駐車場
貸土地
店舗
事務所
倉庫・工場
新築分譲マンション
中古マンション
新築一戸建て
中古一戸建て
売土地・分譲地
その他(投資物件など)
マンション
一戸建て
土地
ホーム
>
検索方法選択
>
エリア選択
> 物件一覧
全エリア
の
売土地・分譲地
一覧
2018件
該当しました。
<前のページ
9
10
11
12
13
14
15
16
17
18
19
次のページ>
表示切替:
一覧表示
/
地図表示
並び替え:
指定なし
新着順
価格が安い順
価格が高い順
画像
物件名/所在地/取扱店
詳細
閑静な住宅街です。 前面道路6mで除雪道路です。
妙高市渋江町土地
新潟県妙高市渋江町1-8
株式会社 すむとこ
価格
:
1,800,000
円
土地面積
:180㎡ /54.45坪
坪単価
:33,057円/坪
建ぺい率
:40%
容積率
:80%
宅地+雑種地 駐車場での利用可
宮本町2丁目 売土地1 【価格変更】しました。
新潟県長岡市宮本町2丁目乙86-2、乙87-1
ふどうさんの相談所 (ライフデザイン合同会社 イオン長岡店)
価格
:
1,800,000
円
土地面積
:291.72㎡ /88.24坪
坪単価
:20,398円/坪
建ぺい率
:70%
容積率
:200%
54.99坪、東の輪町海水浴場まで徒歩5分
柏崎市東の輪町売土地
新潟県柏崎市東の輪町
株式会社 ホーメックス
価格
:
1,800,000
円
土地面積
:181.81㎡ /54.99坪
坪単価
:32,733円/坪
建ぺい率
:60%
容積率
:200%
約51坪の閑静な住宅地!
柏崎市三島町売土地/約54坪/剣野小・第三中学校区
新潟県柏崎市三島町5丁目
株式会社 阿部建設
価格
:
1,800,000
円
土地面積
:178.9㎡ /54.11坪
坪単価
:33,265円/坪
建ぺい率
:50%
容積率
:100%
建築不可。資材置き場、トレーラーハウス・コンテナハウス置場、畑に最適。近隣に商業施設が多く便利なエリアです。
寺町3丁目売地180万円
新潟県上越市寺町3丁目257番1
信濃土地株式会社 上越支店
価格
:
1,800,000
円
土地面積
:309㎡ /93.47坪
坪単価
:19,257円/坪
建ぺい率
:60%
容積率
:200%
自然豊かな地域で、市指定のブナ林やエドヒガンの古木など、周辺は落ち着いた環境が整っています!
三和区岡田の売地 183坪
新潟県上越市三和区岡田542
越乃エステート株式会社
価格
:
1,800,000
円
土地面積
:605.66㎡ /183.21坪
坪単価
:9,824円/坪
建ぺい率
:-
容積率
:-
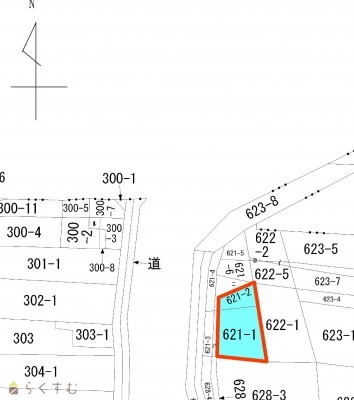
柏崎駅近く22坪!
柳橋町22.6坪 駐車場、倉庫用地に☆
新潟県柏崎市柳橋町621-1、621-2
株式会社 ai-will
価格
:
1,808,000
円
土地面積
:74.74㎡ /22.6坪
坪単価
:80,000円/坪
建ぺい率
:70%
容積率
:200%
スーパー、個人医院、薬局、コンビニ、郵便局近くにあります♪
柏崎市桜木町 土地
新潟県柏崎市桜木町1478番1 他2筆
株式会社裕建
価格
:
1,850,000
円
土地面積
:227㎡ /68.66坪
坪単価
:26,944円/坪
建ぺい率
:60%
容積率
:200%
価格改定させていただきました。
鳥越売土地
新潟県長岡市鳥越2068番
有限会社 粉川不動産コミュニティ
価格
:
1,850,000
円
土地面積
:329.49㎡ /99.67坪
坪単価
:18,561円/坪
建ぺい率
:70%
容積率
:200%
ショッピングエリアまで1km以内♪農作業が楽しめるのどかな環境です♪
巻渕3丁目売土地
新潟県長岡市巻渕525番1他4筆
株式会社 長岡総合開発
価格
:
1,880,000
円
土地面積
:387.09㎡ /117.09坪
坪単価
:16,056円/坪
建ぺい率
:60%
容積率
:200%
水穴町2-34
新潟県長岡市水穴町2-34
株式会社 よつば不動産
価格
:
1,897,500
円
土地面積
:228.23㎡ /69.03坪
坪単価
:27,488円/坪
建ぺい率
:70%
容積率
:240%
価格改定を行い更にお求めやすくなりました☆【R3.6.28改定、330→190万円】
与板町与板 売地
新潟県長岡市与板町与板乙5449番1
髙頭不動産 株式会社
価格
:
1,900,000
円
土地面積
:159.57㎡ /48.26坪
坪単価
:39,370円/坪
建ぺい率
:60%
容積率
:200%
黒井 売地
新潟県上越市黒井1904
株式会社カンエー・ハウジング
価格
:
1,900,000
円
土地面積
:204.95㎡ /61.99坪
坪単価
:30,650円/坪
建ぺい率
:60%
容積率
:200%
2面道路となっております。 駐車場用地としてもおすすめです
与板町与板売地
新潟県長岡市与板町与板乙5440、753番1
有限会社 地建事務所
価格
:
1,900,000
円
土地面積
:316.97㎡ /95.88坪
坪単価
:19,816円/坪
建ぺい率
:60%
容積率
:200%
日当たり良好な南面道路。間口広め。【田舎暮らし】【別荘地】にもおすすめです。
長岡市金沢5丁目 売土地
新潟県長岡市金沢5丁目735-1
株式会社 森山建設
価格
:
1,900,000
円
土地面積
:221㎡ /66.85坪
坪単価
:28,421円/坪
建ぺい率
:60%
容積率
:200%
閑静な住宅地
【関原町3丁目】売土地 57.77坪
新潟県長岡市関原町3丁目字南原乙400番32
株式会社ミライ’s R Estate
価格
:
1,900,000
円
土地面積
:191㎡ /57.77坪
坪単価
:32,889円/坪
建ぺい率
:60%
容積率
:200%
小千谷市中心部の100坪 近隣店舗様用の賃貸駐車場としてご相談承ります 売買・賃貸共に価格のご相談もお受けします 2軒間口の住宅も建築可です
小千谷市本町売土地
新潟県小千谷市本町2-1-5
有限会社 アットホーム
価格
:
1,950,000
円
土地面積
:331.53㎡ /100.28坪
坪単価
:19,445円/坪
建ぺい率
:80%
容積率
:400%
頸城区望ヶ丘団地内の角地物件です
頸城区望ヶ丘
新潟県上越市頸城区望ケ丘
株式会社カンエー・ハウジング
価格
:
1,980,000
円
土地面積
:223㎡ /67.45坪
坪単価
:29,355円/坪
建ぺい率
:70%
容積率
:200%
商業施設近くの便利な立地!
富岡土地Ⅱ
新潟県上越市富岡2542-1
株式会社アール ミニミニFC上越大通り店
価格
:
1,980,000
円
土地面積
:303.46㎡ /91.79坪
坪単価
:21,570円/坪
建ぺい率
:70%
容積率
:200%
敷地は約300坪!!南西道路で日当たり良好!!
上越市大字高和町 198万円
新潟県上越市高和町238番1、他(地番)
有限会社 よつば不動産
価格
:
1,980,000
円
土地面積
:976.36㎡ /295.34坪
坪単価
:6,704円/坪
建ぺい率
:70%
容積率
:200%
表示切替:
一覧表示
/
地図表示
並び替え:
指定なし
新着順
価格が安い順
価格が高い順
価格は物件の代金総額を表示しており、消費税が課税される場合は税込み価格です。
建築条件付き土地価格には、建物価格は含まれません。
物件情報の詳細については取り扱い店までお問い合わせください。
完成予想図はいずれも外構・植栽・外観等実際のものと異なることが多少あります。
CG合成の画像の場合実際と異なることが多少あります。
完成後1年以上経過したものが未入居として記載される場合があります。ご了承ください。
販売予定物件は販売開始するまで契約または予約の申し込みはできません。
ご購入の場合物件詳細や契約内容についてご自身で十分ご確認いただきますようよろしく御願いします。
建築条件付きとは…その土地に建築する建物の建築請負契約が、一定期間内に成立することを条件として売買される土地のことをいいます。請負契約成立に向けて設計プランを協議するため、土地購入者が希望する建物にするために一定の期間(概ね3ヶ月)交渉期間としその期間内に希望するプランが実現できたかどうかによって土地の購入の判断をします。納得のいくプランができず請負契約が未成立になった場合、土地契約にかかった代金(手付金など)は、すべて返却されます。
2018件
該当しました。
<前のページ
9
10
11
12
13
14
15
16
17
18
19
次のページ>
0件
がマッチ
基本条件
物件種別
売土地・分譲地
詳細種別
売土地
分譲地
価格
下限なし
100万円
250万円
500万円
1000万円
1500万円
2000万円
2500万円
3000万円
3500万円
4000万円
4500万円
5000万円
5500万円
6000万円
6500万円
7000万円
7500万円
8000万円
8500万円
9000万円
9500万円
1億円
~
上限なし
100万円
250万円
500万円
1000万円
1500万円
2000万円
2500万円
3000万円
3500万円
4000万円
4500万円
5000万円
5500万円
6000万円
6500万円
7000万円
7500万円
8000万円
8500万円
9000万円
9500万円
1億円
間取り
ワンルーム
1K
1DK
1LDK
2K
2DK
2LDK
3K
3DK
3LDK
4K
4DK
4LDK以上
専有面積
下限なし
20㎡
30㎡
40㎡
50㎡
60㎡
70㎡
80㎡
90㎡
100㎡
~
上限なし
20㎡
30㎡
40㎡
50㎡
60㎡
70㎡
80㎡
90㎡
100㎡
土地面積
下限なし
60㎡ (約18坪)
70㎡ (約21坪)
80㎡ (約24坪)
90㎡ (約27坪)
100㎡ (約30坪)
110㎡ (約33坪)
120㎡ (約36坪)
130㎡ (約39坪)
140㎡ (約42坪)
150㎡ (約45坪)
160㎡ (約48坪)
170㎡ (約51坪)
180㎡ (約54坪)
190㎡ (約57坪)
200㎡ (約60坪)
250㎡ (約75坪)
300㎡ (約90坪)
~
上限なし
60㎡ (約18坪)
70㎡ (約21坪)
80㎡ (約24坪)
90㎡ (約27坪)
100㎡ (約30坪)
110㎡ (約33坪)
120㎡ (約36坪)
130㎡ (約39坪)
140㎡ (約42坪)
150㎡ (約45坪)
160㎡ (約48坪)
170㎡ (約51坪)
180㎡ (約54坪)
190㎡ (約57坪)
200㎡ (約60坪)
250㎡ (約75坪)
300㎡ (約90坪)
建物面積
下限なし
60㎡ (約18坪)
70㎡ (約21坪)
80㎡ (約24坪)
90㎡ (約27坪)
100㎡ (約30坪)
110㎡ (約33坪)
120㎡ (約36坪)
130㎡ (約39坪)
140㎡ (約42坪)
150㎡ (約45坪)
160㎡ (約48坪)
170㎡ (約51坪)
180㎡ (約54坪)
190㎡ (約57坪)
200㎡ (約60坪)
250㎡ (約75坪)
300㎡ (約90坪)
~
上限なし
60㎡ (約18坪)
70㎡ (約21坪)
80㎡ (約24坪)
90㎡ (約27坪)
100㎡ (約30坪)
110㎡ (約33坪)
120㎡ (約36坪)
130㎡ (約39坪)
140㎡ (約42坪)
150㎡ (約45坪)
160㎡ (約48坪)
170㎡ (約51坪)
180㎡ (約54坪)
190㎡ (約57坪)
200㎡ (約60坪)
250㎡ (約75坪)
300㎡ (約90坪)
坪単価
下限なし
5万円
10万円
15万円
20万円
25万円
30万円
35万円
40万円
45万円
50万円
~
上限なし
5万円
10万円
15万円
20万円
25万円
30万円
35万円
40万円
45万円
50万円
築年数
指定なし
新築
3年以内
5年以内
10年以内
15年以内
20年以内
方位
北
北東
東
南東
南
南西
西
北西
おすすめ条件
ペット可・相談
楽器可・相談
情報公開日
指定なし
本日
3日以内
1週間以内
1ヶ月以内
0件
がマッチ
人気のあるこだわり条件
高台に立地(104)
角地(377)
整形地(714)
前道6m以上(983)
南側道路面す(382)
更地(1180)
学校近く(548)
スーパー近く(406)
最寄り駅近く(227)
閑静な住宅街(923)
分割可能(52)
建築条件なし(1490)
所有権(1594)
即引き渡し可(657)
側溝(684)
都市ガス(前面道路)(805)
LPG(154)
上水道(前面道路)(899)
下水道(前面道路)(823)
浄化槽(76)
電気(909)
都市ガス(宅地内)(813)
上水道(宅地内)(1045)
下水道(宅地内)(961)
前面道路融雪設備あり(402)
その他水道(2)
住宅向け(1405)
事業用向け(313)
別荘地(117)
田舎暮らし(220)
条件に合った物件数は、
0 件
です。
立地・環境
高台に立地(104)
角地(377)
整形地(714)
前道6m以上(983)
南側道路面す(382)
更地(1180)
学校近く(548)
スーパー近く(406)
最寄り駅近く(227)
閑静な住宅街(923)
用途・制限
分割可能(52)
建築条件なし(1490)
引渡・条件
所有権(1594)
即引き渡し可(657)
設備
側溝(684)
都市ガス(前面道路)(805)
LPG(154)
上水道(前面道路)(899)
下水道(前面道路)(823)
浄化槽(76)
電気(909)
都市ガス(宅地内)(813)
上水道(宅地内)(1045)
下水道(宅地内)(961)
前面道路融雪設備あり(402)
その他水道(2)
その他
住宅向け(1405)
事業用向け(313)
別荘地(117)
田舎暮らし(220)
条件に合った物件数は、
0 件
です。
アパート・マンション・一戸建て
/
駐車場
/
貸土地
/
店舗
/
事務所
/
倉庫・工場
新築分譲マンション
/
中古マンション
/
新築一戸建て
/
中古一戸建て
/
売土地
/
投資物件・その他
マンション
/
一戸建て
/
土地
建てる・リフォーム
物件掲載企業一覧
掲載希望の企業様へ
新潟の不動産情報サイト
サービス利用規約
運営会社
サイトマップ
プライバシーポリシー
お問い合わせ
リンク
Copyright (C)
株式会社 コモンライフ・コーポレーション
. All Rights Reserved.
新潟・長岡・柏崎の賃貸・マンション・アパート・住宅の不動産物件情報サイト
不動産検索サイト「らくすむ」及び関連サイトに記載の不動産情報は、会員規約に則り、情報提供会社様の責任のもとに発信されております。
不動産の賃借、購入に関しては賃借者、購入者ご自身が情報を確認され、会社企業様から説明を受けられたうえで判断をお願いいたします。
不動産検索サイト「らくすむ」及び関連サイトに記載の不動産情報、写真、デザイン、コンテンツなどの
無断転載・転用・複製
など禁止します。