| 医院、郵便局が近くにあります。 | |||
| 物件コード | 00350-200055 | ||
|---|---|---|---|
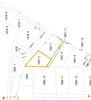
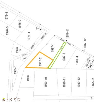
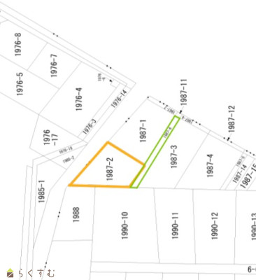
| 物件名 | 柏崎市 春日2丁目 土地 | ||
| 交通 | 駅:越後線 東柏崎駅から徒歩20分、バス:春日2丁目から徒歩3分 | ||
| 物件所在地 | 新潟県柏崎市春日2丁目8番2号 | ||
| 物件種別 | 売土地・分譲地 | ||
| 物件区分 | 売土地 | ||
| 構造 | - | 階建 | - |
| 建ぺい率/容積率 | 60%/200% | ||
| 建物面積 | - | ||
| 土地面積 | 195㎡ /58.98坪 | ||
| 築年月 | - | ||
| 入居時期 | 相談 | ||
| 用途地域 | 第1種低層住居専用地域 | 地目 | 山林 (現状:宅地) |
| 都市計画 | 非線引き都市計画区域 | 学校区 | 槇原小学校(900m)・瑞穂中学校(900m) |
| 形状 | 間口 9.5m | 道路 | 前面土地(南側)を道路として申請が必要です。 |
| 私道 | - | ||
| 所在階/階数 | - | 号室 | - |
|---|---|---|---|
| 販売価格 | 500,000円 | 方位 | - |
| 間取り | - | ||
| 専有面積 | - | バルコニー面積 | - |
| その他面積 | - | 駐車場 | - |
| 管理費 | - | 修繕積立金 | - |
| 現況 | 更地 | ||
| 仲介手数料 | 330,000円 | ||
| 利用制限 | - | ||
| 設備 | スーパー近く、所有権、都市ガス(前面道路)、上水道(前面道路)、下水道(前面道路)、電気、都市ガス(宅地内)、上水道(宅地内)、下水道(宅地内)、住宅向け、田舎暮らし | ||
| 取引態様 | 一般 | ||
| 備考 | - | ||
| 情報登録日 | 2025/06/27 | 次回更新予定日 | 2026/04/07 |
| 取引条件有効期限 | 2025/12/31 | ||
|
|
|
|
|
|
| TEL: | 0257-30-8925 |
|---|---|
| 所在地: | 新潟県柏崎市北斗町4番46号 |
| 交通: | 東柏崎駅 徒歩15分 |
| 営業時間: | 9:00~18:00/定休日:日曜日 |
| 免許番号: | 新潟県知事(1)第5755号 |
| 所属団体名: | 公社 新潟県宅地建物取引協会 柏崎支部 |
| 取引態様: | 一般 |