| 物件コード | 00030-200080 | ||
|---|---|---|---|
| 物件名 | 小千谷市大字薭生(元中子)売土地 | ||
| 交通 | 駅:小千谷駅から徒歩10分、バス:東栄2丁目から徒歩3分 | ||
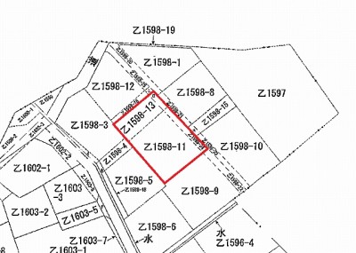
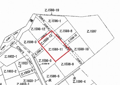
| 物件所在地 | 新潟県小千谷市大字薭生1598番地11 | ||
| 物件種別 | 売土地・分譲地 | ||
| 物件区分 | 売土地 | ||
| 構造 | - | 階建 | - |
| 建ぺい率/容積率 | 60%/200% | ||
| 建物面積 | - | ||
| 土地面積 | 265.54㎡ /80.32坪 | ||
| 築年月 | - | ||
| 入居時期 | 随時入居(引き渡し)可 | ||
| 用途地域 | 第1種住居地域 | 地目 | 宅地 (現状:宅地) |
| 都市計画 | - | 学校区 | 東小千谷小学校(532m)・東小千谷中学校(652m) |
| 形状 | 間口 20m × 奥行 11m | 道路 | 東側 私道 幅員約2.5m |
| 私道 | 前面道路私道 | ||
| 所在階/階数 | - | 号室 | - |
|---|---|---|---|
| 販売価格 | 2,500,000円 | 方位 | - |
| 間取り | - | ||
| 専有面積 | - | バルコニー面積 | - |
| その他面積 | - | 駐車場 | - |
| 管理費 | - | 修繕積立金 | - |
| 現況 | - | ||
| 仲介手数料 | 330,000円 | ||
| 利用制限 | - | ||
| 設備 | 整形地、更地、学校近く、スーパー近く、建築条件なし、所有権、即引き渡し可、側溝、都市ガス(前面道路)、電気、都市ガス(宅地内)、上水道(宅地内)、下水道(宅地内)、前面道路融雪設備あり、住宅向け | ||
| 取引態様 | 専任 | ||
| 備考 | 宅地面積:237.05㎡(71.70坪) 建物再建築の場合は43条但し書き許可が必要です。 |
||
| 情報登録日 | 2025/07/07 | 次回更新予定日 | 2026/05/21 |
| 取引条件有効期限 | 2023/02/18 | ||
|
|
|
|
| TEL: | 0258-46-8777 |
|---|---|
| 所在地: | 新潟県長岡市南七日町89-21 |
| 交通: | バス停「南七日町」徒歩3分 |
| 営業時間: | 9:00~18:00/定休日:日曜・祭日 |
| 免許番号: | 新潟県知事(10)2876号 |
| 所属団体名: | 新潟県宅地建物取引業協会 長岡支部 |
| 取引態様: | 専任 |