1
物件掲載企業数:
297
社
|賃貸物件:
3,597
件|売買物件:
3,316
件|今週の登録物件:
242
件
閲覧中のブラウザ(インターネットエクスプローラー)は非推奨ブラウザです。
物件が正しく表示されなかったり、正しく検索されない場合があります。最新のブラウザ(Google Chrome・Edgeなど)にてご利用お願いいたします。
Google Chrome
Microsoft Edge
アパート・マンション・一戸建て
駐車場
貸土地
店舗
事務所
倉庫・工場
新築分譲マンション
中古マンション
新築一戸建て
中古一戸建て
売土地・分譲地
その他(投資物件など)
マンション
一戸建て
土地
ホーム
>
検索方法選択
>
ランドマーク指定
> 物件一覧
全エリア
の
売土地・分譲地
一覧
2082件
該当しました。
<前のページ
66
67
68
69
70
71
72
73
74
75
76
次のページ>
表示切替:
一覧表示
/
地図表示
並び替え:
指定なし
新着順
価格が安い順
価格が高い順
画像
物件名/所在地/取扱店
詳細
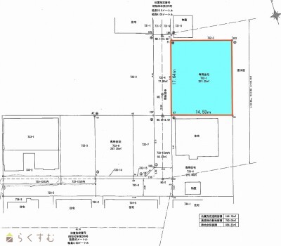
■長岡市東栄51.7坪の売地(建物解体更地渡し) ■ラ・ムー長岡愛宕店まで徒歩9分(600m) ■バス停「東栄」まで徒歩7分(500m) ■川崎東小学校まで徒歩15分(1,100m)
長岡市東栄3丁目
新潟県長岡市東栄3丁目9-4
ハーバーエステート株式会社
価格
:
7,360,000
円
土地面積
:171㎡ /51.72坪
坪単価
:142,304円/坪
建ぺい率
:60%
容積率
:200%
北西角地・消雪道路・解体更地渡し
山田2丁目売土地
新潟県長岡市山田2丁目1-9
株式会社 高野不動産販売
価格
:
7,390,000
円
土地面積
:99.47㎡ /30.08坪
坪単価
:245,678円/坪
建ぺい率
:80%
容積率
:300%
関原小中学校まで徒歩10分圏内、関原公園にも近く子育てに良好な住環境です。バス停も目の前です!
長岡市関原町3丁目 売土地(A)
新潟県長岡市関原町3丁目甲191-1
株式会社不動産情報社 長岡店
価格
:
7,400,000
円
土地面積
:341.2㎡ /103.21坪
坪単価
:71,698円/坪
建ぺい率
:80%
容積率
:200%
〈建築条件付き〉学校や駅、スーパーなどが徒歩圏内!生活に便利な立地です★
【立地◎】春日山町二丁目 売地
新潟県上越市春日山町2丁目
株式会社 お不動さん
価格
:
7,400,000
円
土地面積
:244.68㎡ /74.01坪
坪単価
:99,986円/坪
建ぺい率
:60%
容積率
:200%
柏崎市茨目3丁目 売土地 区画B
新潟県柏崎市茨目3丁目274-1 他
株式会社不動産情報社 長岡店
価格
:
7,400,000
円
土地面積
:204.23㎡ /61.77坪
坪単価
:119,799円/坪
建ぺい率
:60%
容積率
:200%
☆旧国道沿いに面した約336坪の広々とした売土地です☆
大潟区九戸浜
新潟県上越市大潟区九戸浜212他4筆
有限会社田村家具店
価格
:
7,400,000
円
土地面積
:1,113.08㎡ /336.7坪
坪単価
:21,978円/坪
建ぺい率
:80%
容積率
:400%
広々敷地 比角保育園近く
柏崎市松美1丁目売り土地
新潟県柏崎市松美1丁目699-41、699-42
株式会社 ホーメックス
価格
:
7,400,000
円
土地面積
:410㎡ /124.02坪
坪単価
:59,667円/坪
建ぺい率
:60%
容積率
:200%
【売土地】令和6年完成の分譲地内の角地。柏崎ICへのアクセス良好!近隣にはスーパーやコンビニ、医療施設があり安心して子育てできる環境です。
【建築条件付】柏崎市半田58-7売土地(角地)
新潟県柏崎市半田一丁目字大二百刈58番7
株式会社アオキ住建 AT HOME LABO
価格
:
7,410,000
円
土地面積
:175.23㎡ /53坪
坪単価
:139,811円/坪
建ぺい率
:80%
容積率
:200%
全17区画 分譲中 好評につき残りわずか
見附市本所2丁目 【ステーションパーク本所二】
新潟県見附市本所2丁目449番地 他
株式会社 上新不動産
[価格]
7,420,450
~
9,000,000
円
[土地面積]
182.7 ~ 258.22㎡
55.26 ~ 78.11坪
[坪単価]
115,222 ~ 134,282円/坪
スーパー・ドラッグストア近隣充実 毎日の生活に大変便利 / お求め易い700万円台中心の価格帯
グリーンガーデン新発田新富町 区画2
新潟県新発田市新富町2丁目
株式会社 エヌ・アール・ケー総合企画
[価格]
7,458,000
円
[土地面積]
150.35㎡ /45.48坪
[坪単価]
163,984円/坪
★金額変更しました★【人気の有田小学校区】南向きのお土地♪ 直江津東中学校までは徒歩8分!
【募集中】三ツ橋 売地
新潟県上越市三ツ橋818-3
株式会社 お不動さん
価格
:
7,500,000
円
土地面積
:264.65㎡ /80.05坪
坪単価
:93,691円/坪
建ぺい率
:60%
容積率
:200%
角地2辺とも融雪道路
売土地
新潟県長岡市新保2丁目1806‐3
村山ハウス(株)
価格
:
7,500,000
円
土地面積
:161㎡ /48.7坪
坪単価
:154,004円/坪
建ぺい率
:60%
容積率
:200%
生活利便性の良い、閑静な住宅地
見附市南本町売土地
新潟県見附市南本町2丁目110番19、110番20、110番21、110番22、110番23
橋本建設 株式会社
価格
:
7,500,000
円
土地面積
:432.79㎡ /130.91坪
坪単価
:57,291円/坪
建ぺい率
:60%
容積率
:200%
【建物解体更地渡し】南西角地の整形地
長岡市上除町売土地【区画①】
新潟県長岡市上除町甲239番1
株式会社 長岡総合開発
価格
:
7,500,000
円
土地面積
:205.4㎡ /62.13坪
坪単価
:120,714円/坪
建ぺい率
:70%
容積率
:200%
西城町2丁目
新潟県上越市西城町2丁目5-10
有限会社 太田商店
価格
:
7,500,000
円
土地面積
:262.41㎡ /79.37坪
坪単価
:94,494円/坪
建ぺい率
:50%
容積率
:80%
土地
新潟県妙高市中央町10
有限会社関不動産コンサルタント事務所
価格
:
7,500,000
円
土地面積
:308.79㎡ /93.4坪
坪単価
:80,299円/坪
建ぺい率
:60%
容積率
:200%
自社物件につきキャンペーン中!! \高田エリア・前面道路消雪パイプ完備/学校や医療機関・商業施設も近く生活しやすい立地です。
≪ミサワホームの分譲宅地≫ 東城町3丁目
新潟県上越市東城町3丁目
ミサワホーム北越 株式会社
[価格]
7,500,000
円
[土地面積]
213.44㎡ /64.56坪
[坪単価]
116,171円/坪
敷地100坪超!多様な建物プランが可能です!
上除町 売土地
新潟県長岡市上除町1201-7,1201-8
髙頭不動産 株式会社
価格
:
7,500,000
円
土地面積
:332㎡ /100.43坪
坪単価
:74,678円/坪
建ぺい率
:60%
容積率
:200%
商業施設、公共施設に近く便利な立地!
錦町売土地
新潟県柏崎市錦町421-1
有限会社イッケン
価格
:
7,500,000
円
土地面積
:141.66㎡ /42.85坪
坪単価
:175,029円/坪
建ぺい率
:90%
容積率
:400%
3方向が道路の角地です!
寺町3丁目 売地
新潟県上越市寺町3丁目18-23
上越宅地販売株式会社
価格
:
7,500,000
円
土地面積
:264㎡ /79.86坪
坪単価
:93,914円/坪
建ぺい率
:60%
容積率
:200%
表示切替:
一覧表示
/
地図表示
並び替え:
指定なし
新着順
価格が安い順
価格が高い順
価格は物件の代金総額を表示しており、消費税が課税される場合は税込み価格です。
建築条件付き土地価格には、建物価格は含まれません。
物件情報の詳細については取り扱い店までお問い合わせください。
完成予想図はいずれも外構・植栽・外観等実際のものと異なることが多少あります。
CG合成の画像の場合実際と異なることが多少あります。
完成後1年以上経過したものが未入居として記載される場合があります。ご了承ください。
販売予定物件は販売開始するまで契約または予約の申し込みはできません。
ご購入の場合物件詳細や契約内容についてご自身で十分ご確認いただきますようよろしく御願いします。
建築条件付きとは…その土地に建築する建物の建築請負契約が、一定期間内に成立することを条件として売買される土地のことをいいます。請負契約成立に向けて設計プランを協議するため、土地購入者が希望する建物にするために一定の期間(概ね3ヶ月)交渉期間としその期間内に希望するプランが実現できたかどうかによって土地の購入の判断をします。納得のいくプランができず請負契約が未成立になった場合、土地契約にかかった代金(手付金など)は、すべて返却されます。
2082件
該当しました。
<前のページ
66
67
68
69
70
71
72
73
74
75
76
次のページ>
0件
がマッチ
基本条件
物件種別
売土地・分譲地
詳細種別
売土地
分譲地
価格
下限なし
100万円
250万円
500万円
1000万円
1500万円
2000万円
2500万円
3000万円
3500万円
4000万円
4500万円
5000万円
5500万円
6000万円
6500万円
7000万円
7500万円
8000万円
8500万円
9000万円
9500万円
1億円
~
上限なし
100万円
250万円
500万円
1000万円
1500万円
2000万円
2500万円
3000万円
3500万円
4000万円
4500万円
5000万円
5500万円
6000万円
6500万円
7000万円
7500万円
8000万円
8500万円
9000万円
9500万円
1億円
間取り
ワンルーム
1K
1DK
1LDK
2K
2DK
2LDK
3K
3DK
3LDK
4K
4DK
4LDK以上
専有面積
下限なし
20㎡
30㎡
40㎡
50㎡
60㎡
70㎡
80㎡
90㎡
100㎡
~
上限なし
20㎡
30㎡
40㎡
50㎡
60㎡
70㎡
80㎡
90㎡
100㎡
土地面積
下限なし
60㎡ (約18坪)
70㎡ (約21坪)
80㎡ (約24坪)
90㎡ (約27坪)
100㎡ (約30坪)
110㎡ (約33坪)
120㎡ (約36坪)
130㎡ (約39坪)
140㎡ (約42坪)
150㎡ (約45坪)
160㎡ (約48坪)
170㎡ (約51坪)
180㎡ (約54坪)
190㎡ (約57坪)
200㎡ (約60坪)
250㎡ (約75坪)
300㎡ (約90坪)
~
上限なし
60㎡ (約18坪)
70㎡ (約21坪)
80㎡ (約24坪)
90㎡ (約27坪)
100㎡ (約30坪)
110㎡ (約33坪)
120㎡ (約36坪)
130㎡ (約39坪)
140㎡ (約42坪)
150㎡ (約45坪)
160㎡ (約48坪)
170㎡ (約51坪)
180㎡ (約54坪)
190㎡ (約57坪)
200㎡ (約60坪)
250㎡ (約75坪)
300㎡ (約90坪)
建物面積
下限なし
60㎡ (約18坪)
70㎡ (約21坪)
80㎡ (約24坪)
90㎡ (約27坪)
100㎡ (約30坪)
110㎡ (約33坪)
120㎡ (約36坪)
130㎡ (約39坪)
140㎡ (約42坪)
150㎡ (約45坪)
160㎡ (約48坪)
170㎡ (約51坪)
180㎡ (約54坪)
190㎡ (約57坪)
200㎡ (約60坪)
250㎡ (約75坪)
300㎡ (約90坪)
~
上限なし
60㎡ (約18坪)
70㎡ (約21坪)
80㎡ (約24坪)
90㎡ (約27坪)
100㎡ (約30坪)
110㎡ (約33坪)
120㎡ (約36坪)
130㎡ (約39坪)
140㎡ (約42坪)
150㎡ (約45坪)
160㎡ (約48坪)
170㎡ (約51坪)
180㎡ (約54坪)
190㎡ (約57坪)
200㎡ (約60坪)
250㎡ (約75坪)
300㎡ (約90坪)
坪単価
下限なし
5万円
10万円
15万円
20万円
25万円
30万円
35万円
40万円
45万円
50万円
~
上限なし
5万円
10万円
15万円
20万円
25万円
30万円
35万円
40万円
45万円
50万円
築年数
指定なし
新築
3年以内
5年以内
10年以内
15年以内
20年以内
方位
北
北東
東
南東
南
南西
西
北西
おすすめ条件
ペット可・相談
楽器可・相談
情報公開日
指定なし
本日
3日以内
1週間以内
1ヶ月以内
0件
がマッチ
人気のあるこだわり条件
高台に立地(106)
角地(398)
整形地(732)
前道6m以上(1007)
南側道路面す(388)
更地(1241)
学校近く(562)
スーパー近く(418)
最寄り駅近く(228)
閑静な住宅街(956)
分割可能(51)
建築条件なし(1537)
所有権(1647)
即引き渡し可(686)
側溝(716)
都市ガス(前面道路)(827)
LPG(163)
上水道(前面道路)(920)
下水道(前面道路)(851)
浄化槽(83)
電気(951)
都市ガス(宅地内)(843)
上水道(宅地内)(1080)
下水道(宅地内)(990)
前面道路融雪設備あり(418)
その他水道(1)
住宅向け(1441)
事業用向け(318)
別荘地(118)
田舎暮らし(227)
条件に合った物件数は、
0 件
です。
立地・環境
高台に立地(106)
角地(398)
整形地(732)
前道6m以上(1007)
南側道路面す(388)
更地(1241)
学校近く(562)
スーパー近く(418)
最寄り駅近く(228)
閑静な住宅街(956)
用途・制限
分割可能(51)
建築条件なし(1537)
引渡・条件
所有権(1647)
即引き渡し可(686)
設備
側溝(716)
都市ガス(前面道路)(827)
LPG(163)
上水道(前面道路)(920)
下水道(前面道路)(851)
浄化槽(83)
電気(951)
都市ガス(宅地内)(843)
上水道(宅地内)(1080)
下水道(宅地内)(990)
前面道路融雪設備あり(418)
その他水道(1)
その他
住宅向け(1441)
事業用向け(318)
別荘地(118)
田舎暮らし(227)
条件に合った物件数は、
0 件
です。
アパート・マンション・一戸建て
/
駐車場
/
貸土地
/
店舗
/
事務所
/
倉庫・工場
新築分譲マンション
/
中古マンション
/
新築一戸建て
/
中古一戸建て
/
売土地
/
投資物件・その他
マンション
/
一戸建て
/
土地
建てる・リフォーム
物件掲載企業一覧
掲載希望の企業様へ
新潟の不動産情報サイト
サービス利用規約
運営会社
サイトマップ
プライバシーポリシー
お問い合わせ
リンク
Copyright (C)
株式会社 コモンライフ・コーポレーション
. All Rights Reserved.
新潟・長岡・柏崎の賃貸・マンション・アパート・住宅の不動産物件情報サイト
不動産検索サイト「らくすむ」及び関連サイトに記載の不動産情報は、会員規約に則り、情報提供会社様の責任のもとに発信されております。
不動産の賃借、購入に関しては賃借者、購入者ご自身が情報を確認され、会社企業様から説明を受けられたうえで判断をお願いいたします。
不動産検索サイト「らくすむ」及び関連サイトに記載の不動産情報、写真、デザイン、コンテンツなどの
無断転載・転用・複製
など禁止します。