新潟県見附市本町二丁目115-51 売土地・分譲地 5,000,000円の物件情報

生活利便性の良い立地

物件名/所在地 詳細 価格
新潟県見附市本町二丁目売地A
新潟県見附市本町二丁目115-51
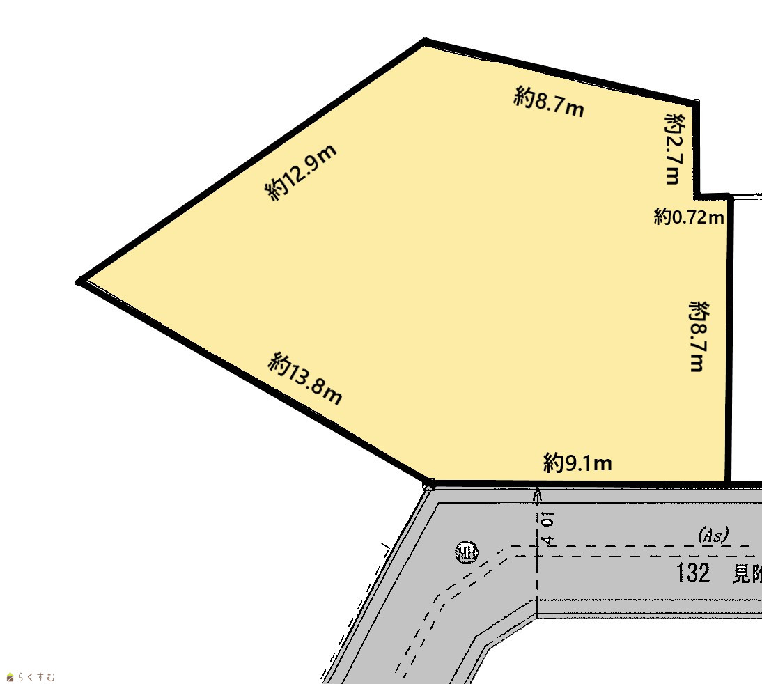
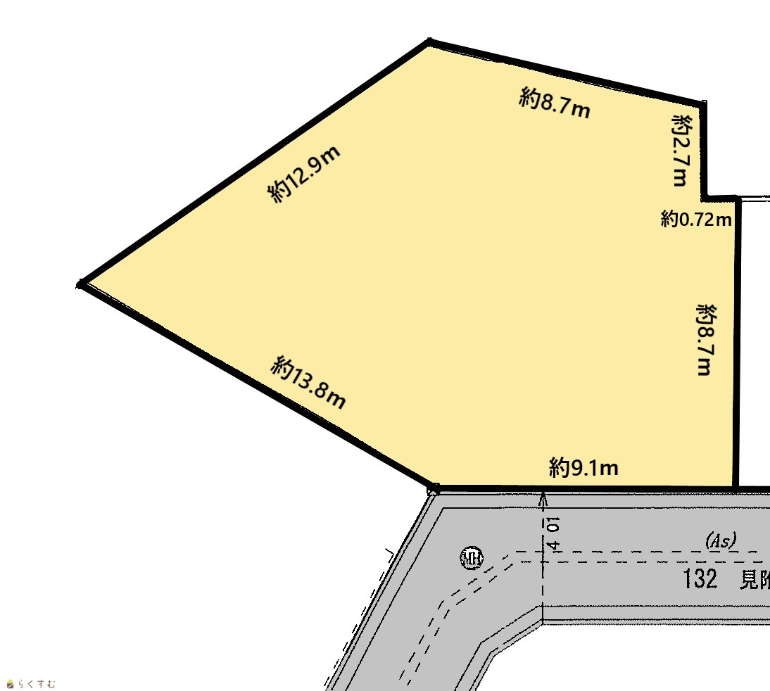
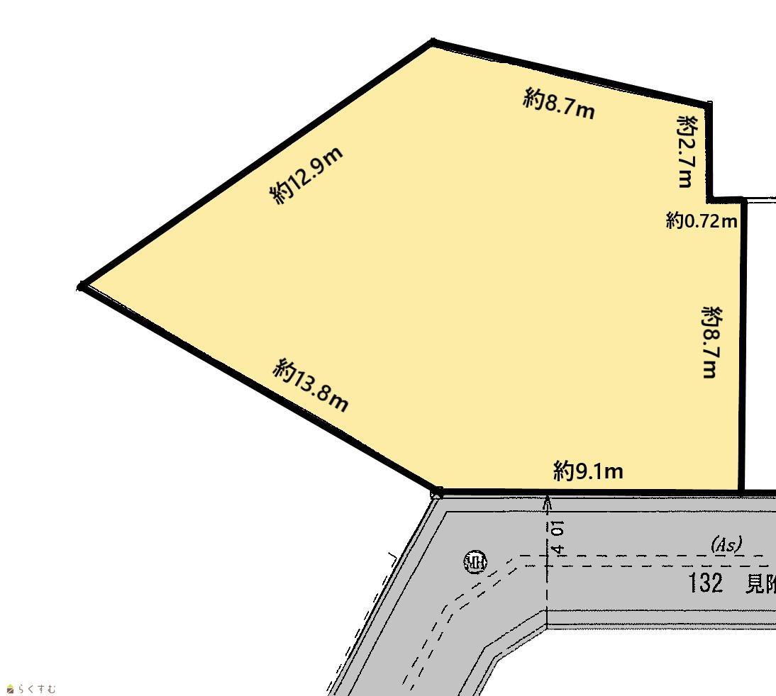
  • 土地面積
    :182.78㎡ /55.29坪
  • 坪単価
    :90,432円/坪
  • 建ぺい率
    :60%
  • 容積率
    :160%
5,000,000
  • 新潟県見附市本町二丁目売地A
    橋本建設 株式会社
  • この物件を問い合わせる/無料
  • TEL: 0258-63-1112 0258-63-1112

物件画像

外観
間取り
物件画像
※画像クリックで拡大表示
住宅街です
物件画像
※画像クリックで拡大表示
区画図
詳細画像
物件画像
広々としています
物件画像
スーパーマーケット至近
物件画像
更地
物件画像
物件
物件画像
近隣施設
物件画像
近隣施設
物件画像
近隣施設
物件画像
近隣施設
物件画像
地図画像


物件概要

商業施設近く、生活環境が充実。閑静な住宅街。
物件コード 00070-200074
物件名 新潟県見附市本町二丁目売地A
交通 駅:信越線 見附駅から徒歩33分、バス:南本町から徒歩2分
物件所在地 新潟県見附市本町二丁目115-51
物件種別 売土地・分譲地
物件区分 売土地
構造 - 階建 -
建ぺい率/容積率 60%/160%
建物面積 -
土地面積 182.78㎡ /55.29坪
築年月 -
入居(引き渡し)時期 相談
用途地域 第1種住居地域 地目 宅地  (現状:宅地)
都市計画 市街化区域 学校区 名木野小学校(921m)・南中学校(1,381m)
形状 - 道路 見附市道本町2の12号線
私道 - その他の制限 準防火地域
  • 新潟県見附市本町二丁目売地A
    橋本建設 株式会社
  • この物件を問い合わせる/無料
  • TEL: 0258-63-1112 0258-63-1112

物件詳細情報

所在階/階数 - 号室 -
販売価格 5,000,000円 方位 -
間取り -
専有面積 - バルコニー面積 -
その他面積 - 駐車場 -
管理費 - 修繕積立金 -
現況 -
仲介手数料 231,000円
利用制限 -
設備 更地、スーパー近く、最寄り駅近く、閑静な住宅街、建築条件なし、所有権、側溝、上水道(前面道路)、下水道(前面道路)、前面道路融雪設備あり、住宅向け
取引態様 一般
備考 閑静な住宅街です。建築条件無です。前面道路より上下水道引込可です。分筆後のお引渡しとなります。面積に若干の誤差が生じる場合があります。
取り扱い会社

橋本建設 株式会社

新潟県見附市市野坪町31-3

情報登録日 2025/08/09 次回更新予定日 2026/05/21
取引条件有効期限 2027/12/24
  • 新潟県見附市本町二丁目売地A
    橋本建設 株式会社
  • この物件を問い合わせる/無料
  • TEL: 0258-63-1112 0258-63-1112

この物件の地図・周辺情報・行政情報

この物件の周辺情報・行政情報を詳しく見る
【周辺情報】
物件の近くにあるコンビニや銀行・学校など、アイコン付のマップで詳しく表示できます!
【行政情報】
水道料や下水道料・ガス料金など、暮らしに関係のある情報を表示しています。
セブン-イレブン 見附新町3丁目店(コンビニ)まで480m
原信 見附店(スーパー)まで320m
みつけ子どもクリニックまで450m
見附たなはしクリニックまで450m
見附メンタルクリニックまで450m
ドラッグトップスまで300m
ダイソーまで350m
名木野小学校まで1.1㎞
見附南中学校まで1.4㎞
第四北越銀行 見附支店(銀行)まで350m
見附南本町郵便局(郵便局)まで480m

※カメラのアイコンがある場合は、マウスをポイントするとその施設の画像がご覧いただけます。


担当取扱い店舗情報

取扱い店舗画像
橋本建設 株式会社
TEL: 0258-63-1112
所在地: 新潟県見附市市野坪町31-3
交通: 見附駅
営業時間: 9:00~17:00/定休日:水・木曜日
免許番号: 新潟県知事(9)第3180号
所属団体名: 公益社団法人 新潟県宅地建物取引業協会 三条支部
取引態様: 一般
ホームページ: http://hashikenhome.com/