
現況はアスファルト敷きの駐車場です













| 物件名/所在地 | 詳細 | 価格 | 
|---|---|---|
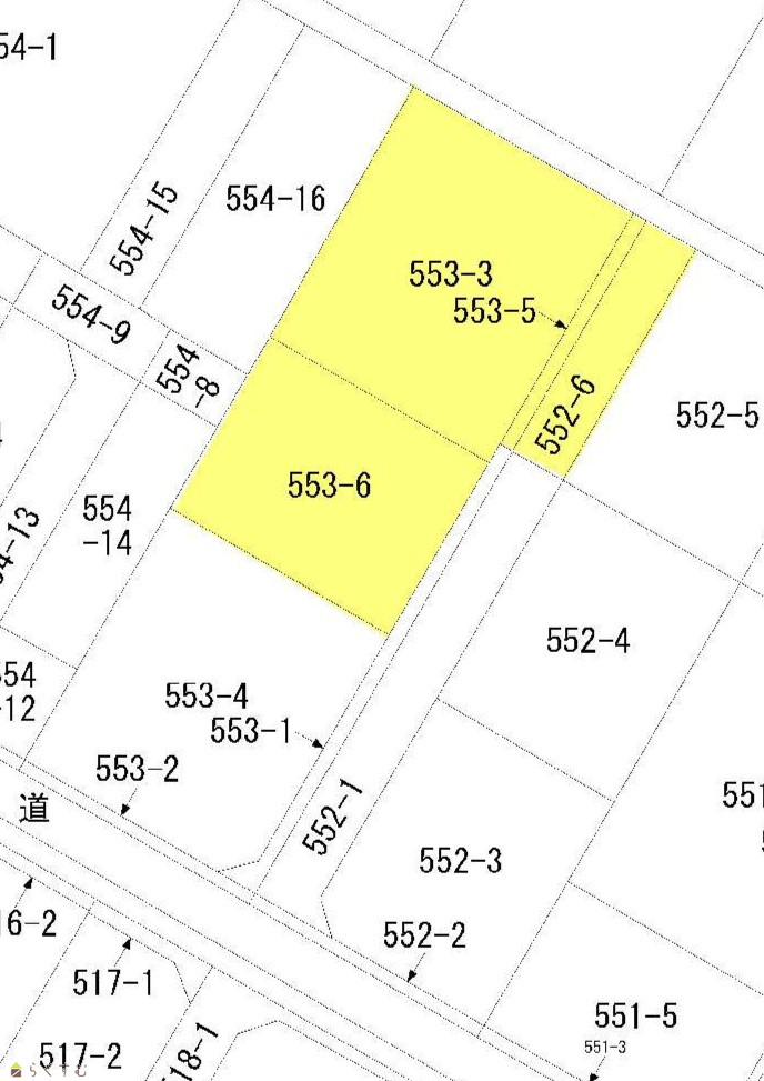
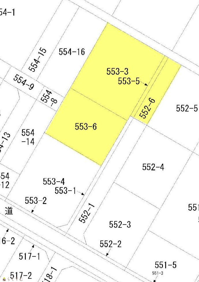
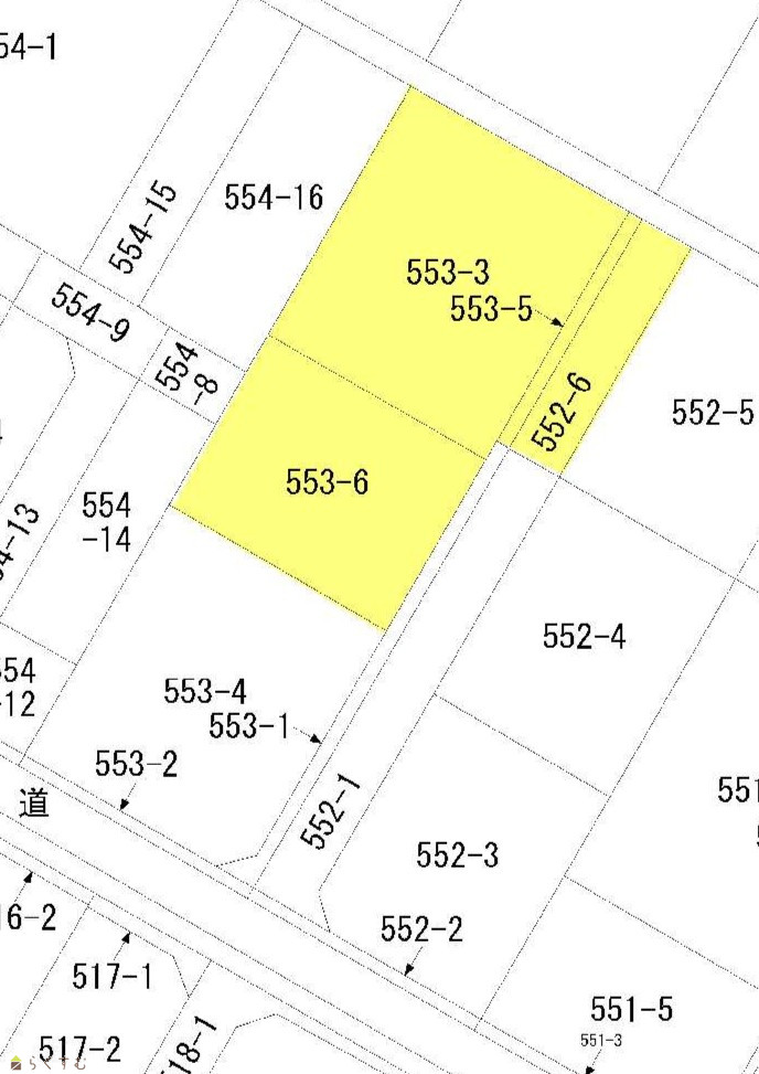
| ◆売地◆三条市石上3丁目 新潟県三条市石上3丁目552番6 | 
 | 21,234,000円 | 
 
							
						| 物件コード | 00052-200202 | ||
|---|---|---|---|
| 物件名 | ◆売地◆三条市石上3丁目 | ||
| 交通 | 駅:弥彦線 北三条駅から徒歩29分、バス:デイサービスセンター友愛の郷から徒歩3分 | ||
| 物件所在地 | 新潟県三条市石上3丁目552番6 | ||
| 物件種別 | 売土地・分譲地 | ||
| 物件区分 | 売土地 | ||
| 構造 | - | 階建 | - | 
| 建ぺい率/容積率 | 70%/200% | ||
| 建物面積 | - | ||
| 土地面積 | 702㎡ /212.35坪 | ||
| 築年月 | - | ||
| 入居(引き渡し)時期 | 相談 | ||
| 用途地域 | 無指定 | 地目 | 田 (現状:宅地) | 
| 都市計画 | 非線引き都市計画区域 | 学校区 | 上林小学校(365m)・第三中学校(1,308m) | 
| 形状 | - | 道路 | 東側5.0m(位置指定道路H4年7月6日第14号) | 
| 私道 | - | その他の制限 | 農地法第5条の申請が必要です | 
 
							
						| 所在階/階数 | - | 号室 | - | 
|---|---|---|---|
| 販売価格 | 21,234,000円 | 方位 | - | 
| 間取り | - | ||
| 専有面積 | - | バルコニー面積 | - | 
| その他面積 | - | 駐車場 | - | 
| 管理費 | - | 修繕積立金 | - | 
| 現況 | - | ||
| 仲介手数料 | 766,722円 | ||
| 利用制限 | - | ||
| 設備 | 学校近く、所有権、都市ガス(前面道路)、上水道(宅地内)、事業用向け | ||
| 取引態様 | 専任 | ||
| 備考 | - | ||
| 取り扱い会社 | 株式会社 ユタカ不動産 新潟県三条市旭町1丁目1-19-3ユタカビル | ||
| 情報登録日 | 2024/01/13 | 次回更新予定日 | 2025/11/14 | 
| 取引条件有効期限 | 2025/06/01 | ||
 
							
						| TEL: | 0256-35-5825 | |
|---|---|---|
| 所在地: | 新潟県三条市旭町1丁目1-19-3ユタカビル | |
| 交通: | 東三条駅 | |
| 営業時間: | 9:00~18:00/定休日:火曜・祭日 | |
| 免許番号: | 新潟見知事(9)第3203号 | |
| 所属団体名: | 新潟県宅地建物取引協会 三条支部 | |
| 取引態様: | 専任 | |
| ホームページ: | http://www.yutakafudousan.com | |