新潟県長岡市東宮内町3199-4 売土地・分譲地 13,000,000円の物件情報

お買い物に便利な立地☆ご家族で歩いて外食にも行きやすいです。

物件名/所在地 詳細 価格
東宮内町 売土地
新潟県長岡市東宮内町3199-4
  • 土地面積
    :335.02㎡ /101.34坪
  • 坪単価
    :128,281円/坪
  • 建ぺい率
    :60%
  • 容積率
    :200%
13,000,000
  • 東宮内町 売土地
    株式会社 高野不動産販売
  • この物件を問い合わせる/無料
  • TEL: 0258-33-7711 0258-33-7711

物件画像

外観
間取り
物件画像
※画像クリックで拡大表示
外観
物件画像
※画像クリックで拡大表示
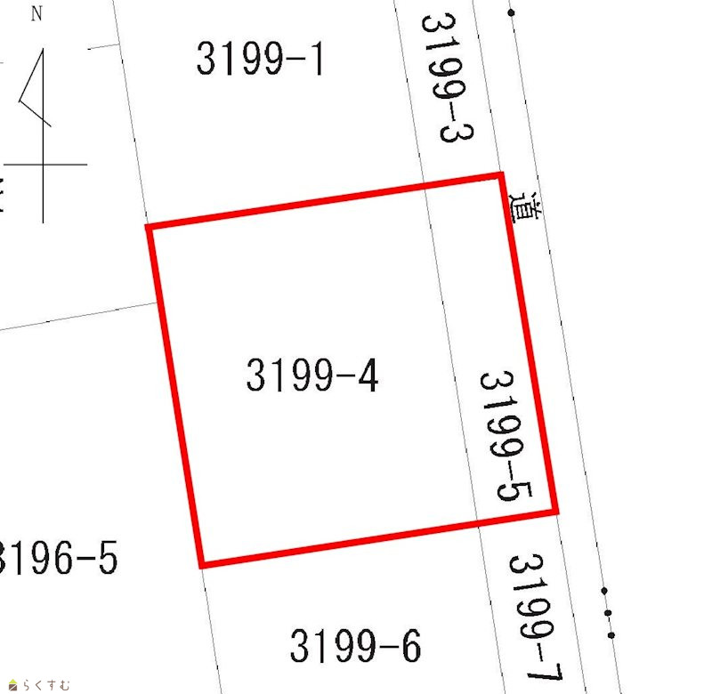
公図
詳細画像
物件画像
広域図
物件画像
印刷用地図


物件概要

前面道路位置指定につき、交通量も少なく安全!
物件コード 00041-200949
物件名 東宮内町 売土地
交通 駅:信越線 宮内駅から徒歩9分、バス:東宮内から徒歩4分
物件所在地 新潟県長岡市東宮内町3199-4
物件種別 売土地・分譲地
物件区分 売土地
構造 - 階建 -
建ぺい率/容積率 60%/200%
建物面積 -
土地面積 335.02㎡ /101.34坪
築年月 -
入居(引き渡し)時期 相談
用途地域 第1種住居地域 地目 宅地  (現状:宅地)
都市計画 市街化区域 学校区 宮内小学校(658m)・宮内中学校(745m)
形状 間口 12.5m × 奥行 14.5m 道路 北東側 公道(位置指定道路) 幅員約4.0m
私道 その他の制限 第三種高度地区 まちなか居住区域
  • 東宮内町 売土地
    株式会社 高野不動産販売
  • この物件を問い合わせる/無料
  • TEL: 0258-33-7711 0258-33-7711

物件詳細情報

所在階/階数 - 号室 -
販売価格 13,000,000円 方位 -
間取り -
専有面積 - バルコニー面積 -
その他面積 - 駐車場 -
管理費 - 修繕積立金 -
現況 空家
仲介手数料 495,000円
利用制限 -
設備 更地、スーパー近く、閑静な住宅街、建築条件なし、所有権、電気、都市ガス(宅地内)、上水道(宅地内)、下水道(宅地内)、住宅向け
取引態様 一般
備考 ※売主契約不適合免責、確定測量手配中
売買対象面積のうち、72㎡は公衆用道路です。
取り扱い会社

株式会社 高野不動産販売

新潟県長岡市柏町1丁目4-33

情報登録日 2025/10/07 次回更新予定日 2026/04/06
取引条件有効期限 2026/01/06
  • 東宮内町 売土地
    株式会社 高野不動産販売
  • この物件を問い合わせる/無料
  • TEL: 0258-33-7711 0258-33-7711

この物件の地図・周辺情報・行政情報

この物件の周辺情報・行政情報を詳しく見る
【周辺情報】
物件の近くにあるコンビニや銀行・学校など、アイコン付のマップで詳しく表示できます!
【行政情報】
水道料や下水道料・ガス料金など、暮らしに関係のある情報を表示しています。
セブン-イレブン 長岡宮内駅前通り店(コンビニ)まで230m
ローソン 長岡笹崎一丁目店(コンビニ)まで460m
原信 宮内店(スーパー)まで260m
クスリのアオキ 長岡曙店(ドラッグストア)まで730m
(生協)こどもクリニック(病院)まで260m
大光銀行 宮内支店(銀行)まで240m
長岡信用金庫 宮内支店(銀行)まで510m
第四北越銀行 宮内支店(銀行)まで550m
越後宮内郵便局(郵便局)まで310m

※カメラのアイコンがある場合は、マウスをポイントするとその施設の画像がご覧いただけます。


担当取扱い店舗情報

取扱い店舗画像
株式会社 高野不動産販売
TEL: 0258-33-7711
所在地: 新潟県長岡市柏町1丁目4-33
交通: 長岡駅
営業時間: 9:00~17:30/定休日:土曜日・日曜日・祝日・お盆・年末年始
免許番号: 新潟県知事(1)第5568号
所属団体名: (公社)新潟県宅地建物取引業協会,(公社)首都圏不動産公正取引協議会,(公財)日本賃貸住宅管理協会
取引態様: 一般
ホームページ: https://www.tknf.co.jp