新潟県見附市本所1丁目7-59 売土地・分譲地 8,000,000円の物件情報

西中学校区の広々とした土地♪

物件名/所在地 詳細 価格
本所1丁目410番1土地 要法第43条2項許可【商談中】
新潟県見附市本所1丁目7-59
  • 土地面積
    :426㎡ /128.86坪
  • 坪単価
    :62,082円/坪
  • 建ぺい率
    :60%
  • 容積率
    :200%
8,000,000
  • 本所1丁目410番1土地 要法第43条2項許可【商談中】
    新潟化成株式会社
  • この物件を問い合わせる/無料
  • TEL: 0258-86-8222 0258-86-8222

物件画像

外観
間取り
物件画像
※画像クリックで拡大表示
0.
物件画像
※画像クリックで拡大表示
1
詳細画像
物件画像
2
物件画像
3
物件画像
4
物件画像
5
物件画像
6
物件画像
9
物件画像
10
物件画像
地図画像


物件概要

建築許可も必要なため割安にて販売中!
物件コード 00015-200286
物件名 本所1丁目410番1土地 要法第43条2項許可【商談中】
交通 駅:信越線 見附駅から徒歩9分、バス:見附高校前から徒歩3分
物件所在地 新潟県見附市本所1丁目7-59
物件種別 売土地・分譲地
物件区分 売土地
構造 - 階建 -
建ぺい率/容積率 60%/200%
建物面積 -
土地面積 426㎡ /128.86坪
築年月 -
入居(引き渡し)時期 相談
用途地域 第1種住居地域 地目 田  (現状:宅地)
都市計画 市街化区域 学校区 見附小学校(1,121m)・西中学校(1,164m)
形状 - 道路 -
私道 - その他の制限 -
  • 本所1丁目410番1土地 要法第43条2項許可【商談中】
    新潟化成株式会社
  • この物件を問い合わせる/無料
  • TEL: 0258-86-8222 0258-86-8222

物件詳細情報

所在階/階数 - 号室 -
販売価格 8,000,000円 方位 -
間取り -
専有面積 - バルコニー面積 -
その他面積 - 駐車場 -
管理費 - 修繕積立金 -
現況 更地
仲介手数料 330,000円
利用制限 -
設備 整形地、更地、建築条件なし、所有権、都市ガス(前面道路)、上水道(前面道路)、下水道(前面道路)、住宅向け、事業用向け
取引態様 一般
備考 ※建築許可が必要となります。
※現況渡しとなり建築には各ライフラインの引き込みが必要になります。
※下水道負担金は未納のため買主負担となります。
※用水路があるためポールの一部撤去、土地までの橋なども買主負担となります。
※乗り入れに必要な橋の占有料はかかりませんが5年ごとに市へ更新が必要となります。
取り扱い会社

新潟化成株式会社

新潟県見附市本町1-1-39 2F

情報登録日 2025/11/19 次回更新予定日 2026/01/04
取引条件有効期限 2027/08/20
  • 本所1丁目410番1土地 要法第43条2項許可【商談中】
    新潟化成株式会社
  • この物件を問い合わせる/無料
  • TEL: 0258-86-8222 0258-86-8222

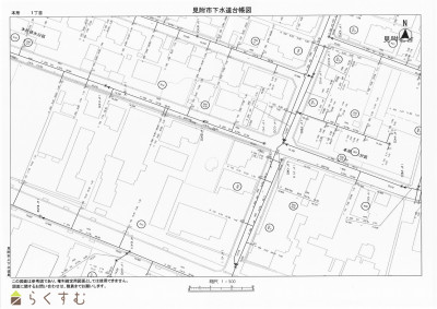
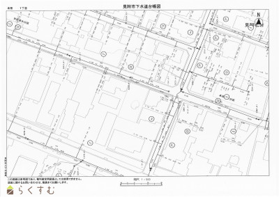
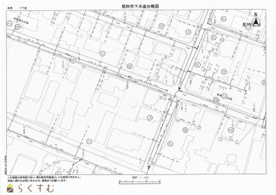
この物件の地図・周辺情報・行政情報

この物件の周辺情報・行政情報を詳しく見る
【周辺情報】
物件の近くにあるコンビニや銀行・学校など、アイコン付のマップで詳しく表示できます!
【行政情報】
水道料や下水道料・ガス料金など、暮らしに関係のある情報を表示しています。

担当取扱い店舗情報

取扱い店舗画像
新潟化成株式会社
TEL: 0258-86-8222
所在地: 新潟県見附市本町1-1-39 2F
交通: 信越線見附駅 バス本町十字路
営業時間: 9時~18時 ※土曜9時~17時 /定休日:第二第三土曜・日曜・祝日※事前予約での定休日相談可
免許番号: 新潟県知事(11)2726
所属団体名: 新潟県宅地建物取引業協会 三条支部
取引態様: 一般
ホームページ: http://www.niigata-kasei.co.jp/