物件掲載企業数:299|賃貸物件:2,912件|売買物件:3,228件|今週の登録物件:351
閲覧中のブラウザ(インターネットエクスプローラー)は非推奨ブラウザです。
物件が正しく表示されなかったり、正しく検索されない場合があります。最新のブラウザ(Google Chrome・Edgeなど)にてご利用お願いいたします。
  

新潟県上越市国府2丁目 売土地・分譲地 3,500,000円の物件情報

国府2丁目売地!

物件名/所在地 詳細 価格
国府2丁目 売地
新潟県上越市国府2丁目
  • 土地面積
    :198㎡ /59.89坪
  • 坪単価
    :58,440円/坪
  • 建ぺい率
    :60%
  • 容積率
    :200%
3,500,000
  • 国府2丁目 売地
    株式会社 お不動さん
  • この物件を問い合わせる/無料
  • TEL: 025-520-8197

物件画像

外観 間取り
物件画像
※画像クリックで拡大表示
土地外観
物件画像
※画像クリックで拡大表示
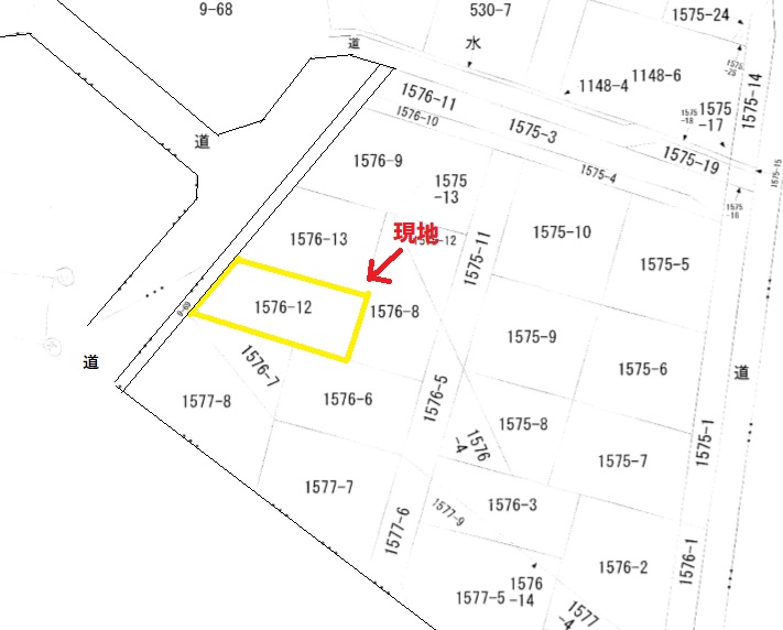
公図
詳細画像


物件概要

前面道路が広い~♪ 
物件コード 00200-200046
物件名 国府2丁目 売地
交通 駅:妙高はねうまライン 春日山駅から徒歩32分、バス:国府新町から徒歩11分
物件所在地 新潟県上越市国府2丁目
物件種別 売土地・分譲地
物件区分 売土地
構造 - 階建 -
建ぺい率/容積率 60%/200%
建物面積 -
土地面積 198㎡ /59.89坪
築年月 -
入居(引き渡し)時期 随時入居(引き渡し)可
用途地域 第1種中高層住居専用地域 地目 畑  (現状:宅地)
都市計画 市街化区域 学校区 国府小学校(1,767m)・直江津中学校(2,462m)
形状 間口 10.63m × 奥行 20m 道路 西側:幅員7.8m/歩道2.1m
私道 - その他の制限 なし
  • 国府2丁目 売地
    株式会社 お不動さん
  • この物件を問い合わせる/無料
  • TEL: 025-520-8197

物件詳細情報

所在階/階数 - 号室 -
販売価格 3,500,000円 方位 -
間取り -
専有面積 - バルコニー面積 -
その他面積 - 駐車場 -
管理費 - 修繕積立金 -
現況 -
仲介手数料 330,000円
契約印紙代 1,000円
利用制限 -
設備 整形地、前道6m以上、更地、閑静な住宅街、建築条件なし、所有権、即引き渡し可、側溝、都市ガス(前面道路)、上水道(前面道路)、下水道(前面道路)、電気、住宅向け
取引態様 一般
備考 ・建築条件なし
・宅地内にガス・水道・下水道引き込みなし(下水道受益者負担金/完納済み)
・地目が(畑)農地転用許可申請(第5条)は売主にて負担します。
・乗入れ申請及び、乗入れ工事費用がかかります。
・前面道路:除雪路線
・その他費用 契約印紙代、所有権移転費用、仲介手数料等がかかります。
取り扱い会社

株式会社 お不動さん

上越市中央一丁目12番36号

情報登録日 2025/01/08 次回更新予定日 2026/04/05
取引条件有効期限 2025/12/26
  • 国府2丁目 売地
    株式会社 お不動さん
  • この物件を問い合わせる/無料
  • TEL: 025-520-8197

この物件の地図・周辺情報・行政情報

この物件の周辺情報・行政情報を詳しく見る
【周辺情報】
物件の近くにあるコンビニや銀行・学校など、アイコン付のマップで詳しく表示できます!
【行政情報】
水道料や下水道料・ガス料金など、暮らしに関係のある情報を表示しています。
ローソン上越大豆二丁目店(コンビニ)まで1050m
セブン−イレブン上越五智国府店(コンビニ)まで780m
グリーン薬局加賀(ドラッグストア)まで1100m
石田医院(病院)まで550m

※カメラのアイコンがある場合は、マウスをポイントするとその施設の画像がご覧いただけます。


担当取扱い店舗情報

取扱い店舗画像
株式会社 お不動さん
TEL: 025-520-8197
所在地: 上越市中央一丁目12番36号
交通: 直江津駅
営業時間: 8:30~17:30/定休日:日曜・祝日・第2土曜日・第4土曜日
免許番号: 新潟県知事(2)第5449号 この会社の情報を詳しく見る
所属団体名: 公社 新潟県宅地建物取引協会 上越支部
取引態様: 一般
ホームページ: https://ofudousan.amebaownd.com/