物件掲載企業数:299|賃貸物件:2,913件|売買物件:3,226件|今週の登録物件:352
閲覧中のブラウザ(インターネットエクスプローラー)は非推奨ブラウザです。
物件が正しく表示されなかったり、正しく検索されない場合があります。最新のブラウザ(Google Chrome・Edgeなど)にてご利用お願いいたします。
  

長岡市乙吉町972-132 中古一戸建て 2DK 3,900,000円の物件情報

物件名/所在地 詳細 価格
長岡市乙吉町
長岡市乙吉町972-132
  • 土地面積
    :262.8㎡ /79.49坪
  • 建物面積
    :104.3㎡ /31.55坪
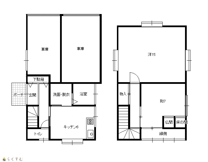
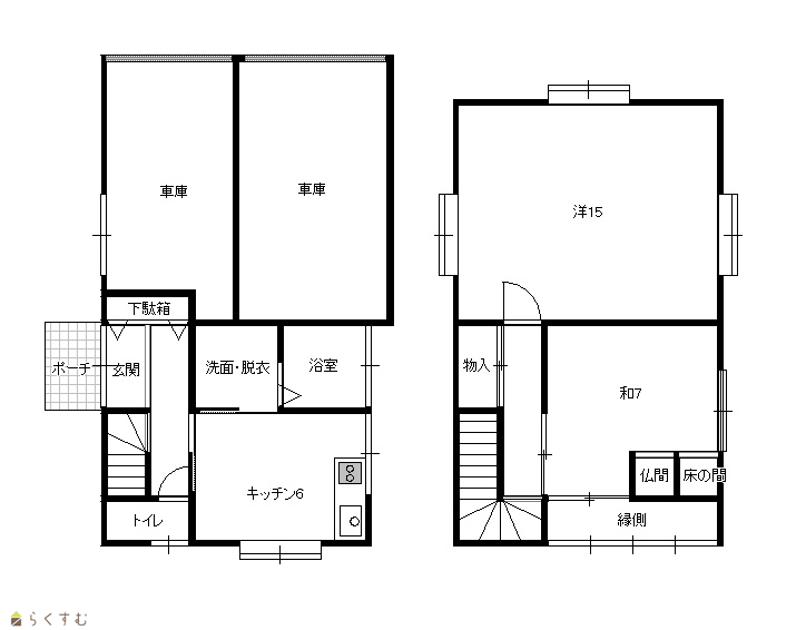
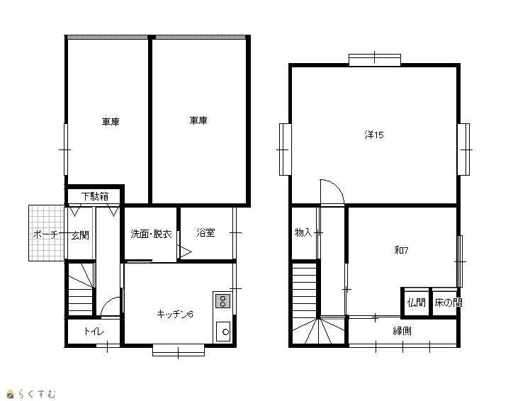
  • 間取り
    :2DK
  • 築年月
    :1993年2月
3,900,000
  • 長岡市乙吉町
    株式会社 よつば不動産
  • この物件を問い合わせる/無料
  • TEL: 0258-32-4331

物件画像

外観 間取り
物件画像
※画像クリックで拡大表示
外観
物件画像
※画像クリックで拡大表示
間取り
詳細画像


物件概要

物件コード 00156-200032
物件名 長岡市乙吉町
交通 駅:信越線 長岡駅から徒歩57分、バス:乙吉から徒歩12分
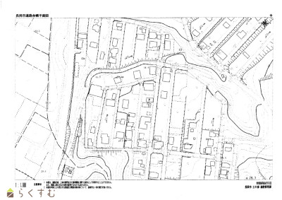
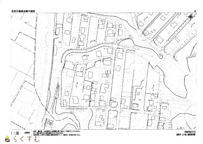
物件所在地 長岡市乙吉町972-132
物件種別 中古一戸建て
構造 木造 階建 地上2階建
建ぺい率/容積率 70%/200%
建物面積 1階 54.62㎡/ 2階 49.68㎡/ 計 104.3㎡ /31.55坪
土地面積 262.8㎡ /79.49坪
築年月 1993年2月(築33年)
入居(引き渡し)時期 相談
用途地域 用途の指定のない地域 地目 宅地
都市計画 市街化調整区域 学校区 栖吉小学校(1,630m)・栖吉中学校(1,630m)
形状 間口 14.8m × 奥行 18.48m 道路 市道 / 山本109号線 6.15m
私道 - その他の制限 -
  • 長岡市乙吉町
    株式会社 よつば不動産
  • この物件を問い合わせる/無料
  • TEL: 0258-32-4331

物件詳細情報

所在階/階数 - 号室 -
販売価格 3,900,000円 方位
間取り 2DK (和室:7畳) (洋室:15)
DK6
専有面積 - バルコニー面積 -
その他面積 - 駐車場 -
管理費 - 修繕積立金 -
現況 空家
仲介手数料 193,600円
利用制限 -
設備 閑静な住宅街、LPG、上水道、下水道
取引態様 専属専任
備考 -
取り扱い会社

株式会社 よつば不動産

新潟県長岡市城内町3-8-17

情報登録日 2025/09/19 次回更新予定日 2026/04/05
取引条件有効期限 2025/11/26
  • 長岡市乙吉町
    株式会社 よつば不動産
  • この物件を問い合わせる/無料
  • TEL: 0258-32-4331

この物件の地図・周辺情報・行政情報

この物件の周辺情報・行政情報を詳しく見る
【周辺情報】
物件の近くにあるコンビニや銀行・学校など、アイコン付のマップで詳しく表示できます!
【行政情報】
水道料や下水道料・ガス料金など、暮らしに関係のある情報を表示しています。

担当取扱い店舗情報

取扱い店舗画像
株式会社 よつば不動産
TEL: 0258-32-4331
所在地: 新潟県長岡市城内町3-8-17
交通: 長岡駅徒歩5分
営業時間: 9:00~17:30/定休日:土日祝
免許番号: 新潟県知事(16)第337号 この会社の情報を詳しく見る
所属団体名: 公社新潟県宅地建物取引業協会 長岡支部
取引態様: 専属専任