物件掲載企業数:299|賃貸物件:2,911件|売買物件:3,228件|今週の登録物件:348
閲覧中のブラウザ(インターネットエクスプローラー)は非推奨ブラウザです。
物件が正しく表示されなかったり、正しく検索されない場合があります。最新のブラウザ(Google Chrome・Edgeなど)にてご利用お願いいたします。
  

新潟県三条市林町1丁目851-18 売土地・分譲地 7,151,300円の物件情報

物件名/所在地 詳細 価格
◆売地◆三条市林町一丁目
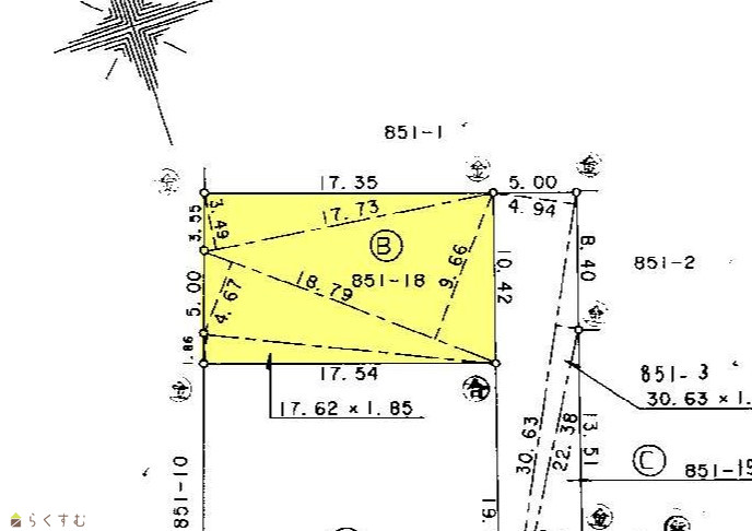
新潟県三条市林町1丁目851-18
  • 土地面積
    :181.86㎡ /55.01坪
  • 坪単価
    :130,000円/坪
  • 建ぺい率
    :60%
  • 容積率
    :200%
7,151,300
  • ◆売地◆三条市林町一丁目
    株式会社 ユタカ不動産
  • この物件を問い合わせる/無料
  • TEL: 0256-35-5825

物件画像

外観 間取り
物件画像
※画像クリックで拡大表示
外観
物件画像
※画像クリックで拡大表示
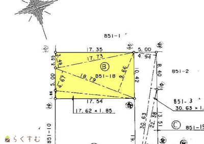
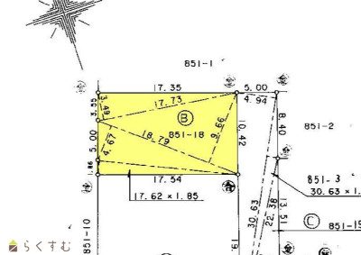
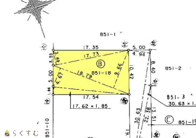
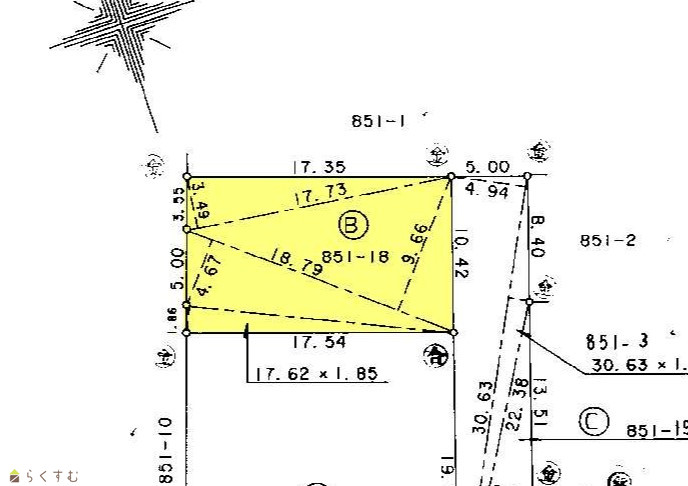
測量図
詳細画像


物件概要

物件コード 00052-200177
物件名 ◆売地◆三条市林町一丁目
交通 駅:弥彦線 北三条駅から徒歩13分、バス:一ノ木戸商店街から徒歩3分
物件所在地 新潟県三条市林町1丁目851-18
物件種別 売土地・分譲地
物件区分 売土地
構造 - 階建 -
建ぺい率/容積率 60%/200%
建物面積 -
土地面積 181.86㎡ /55.01坪
築年月 -
入居(引き渡し)時期 随時入居(引き渡し)可
用途地域 第1種住居地域 地目 宅地  (現状:宅地)
都市計画 非線引き都市計画区域 学校区 一ノ木戸小学校(950m)・第二中学校(950m)
形状 間口 10.41m × 奥行 17.35m 道路 東側:三条市道小林小路支線
私道 - その他の制限 道路中心線より2m以上セットバックが必要です。
  • ◆売地◆三条市林町一丁目
    株式会社 ユタカ不動産
  • この物件を問い合わせる/無料
  • TEL: 0256-35-5825

物件詳細情報

所在階/階数 - 号室 -
販売価格 7,151,300円 方位 -
間取り -
専有面積 - バルコニー面積 -
その他面積 - 駐車場 -
管理費 - 修繕積立金 -
現況 -
仲介手数料 330,000円
利用制限 -
設備 更地、建築条件なし、所有権、即引き渡し可、都市ガス(前面道路)、上水道(宅地内)、下水道(宅地内)、住宅向け
取引態様 専任
備考 -
取り扱い会社

株式会社 ユタカ不動産

新潟県三条市旭町1丁目1-19-3ユタカビル

情報登録日 2024/12/09 次回更新予定日 2026/04/05
取引条件有効期限 2025/02/01
  • ◆売地◆三条市林町一丁目
    株式会社 ユタカ不動産
  • この物件を問い合わせる/無料
  • TEL: 0256-35-5825

この物件の地図・周辺情報・行政情報

この物件の周辺情報・行政情報を詳しく見る
【周辺情報】
物件の近くにあるコンビニや銀行・学校など、アイコン付のマップで詳しく表示できます!
【行政情報】
水道料や下水道料・ガス料金など、暮らしに関係のある情報を表示しています。

担当取扱い店舗情報

取扱い店舗画像
株式会社 ユタカ不動産
TEL: 0256-35-5825
所在地: 新潟県三条市旭町1丁目1-19-3ユタカビル
交通: 東三条駅
営業時間: 9:00~18:00/定休日:火曜・祭日
免許番号: 新潟見知事(9)第3203号 この会社の情報を詳しく見る
所属団体名: 新潟県宅地建物取引協会 三条支部
取引態様: 専任
ホームページ: http://www.yutakafudousan.com