物件掲載企業数:299|賃貸物件:2,912件|売買物件:3,228件|今週の登録物件:351
閲覧中のブラウザ(インターネットエクスプローラー)は非推奨ブラウザです。
物件が正しく表示されなかったり、正しく検索されない場合があります。最新のブラウザ(Google Chrome・Edgeなど)にてご利用お願いいたします。
  

新潟県長岡市荻野1丁目4-9 投資物件・その他 13,000,000円の物件情報

2024年外壁塗装済み、融雪設備あり

物件名/所在地 詳細 価格
表面利回り
売アパート
新潟県長岡市荻野1丁目4-9
  • 土地面積
    :234.44㎡ /70.91坪
  • 建ぺい率
    :50%
  • 容積率
    :80%
13,000,000
13.56%
(満室想定時)
  • 売アパート
    有限会社 高治企画 
  • この物件を問い合わせる/無料
  • TEL: 0258-27-6599

物件画像

外観 間取り
物件画像
※画像クリックで拡大表示
外観
物件画像
※画像クリックで拡大表示
図面
詳細画像


物件概要

物件コード 00051-200052
物件名 売アパート
交通 駅:上越新幹線 長岡駅から徒歩55分、バス:下柳から徒歩3分
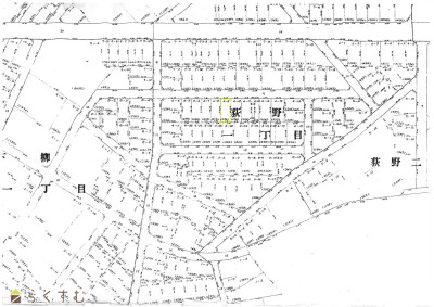
物件所在地 新潟県長岡市荻野1丁目4-9
物件種別 投資物件・その他
物件区分 1棟売りマンション・アパート
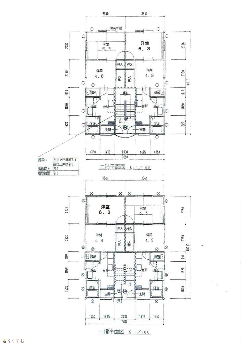
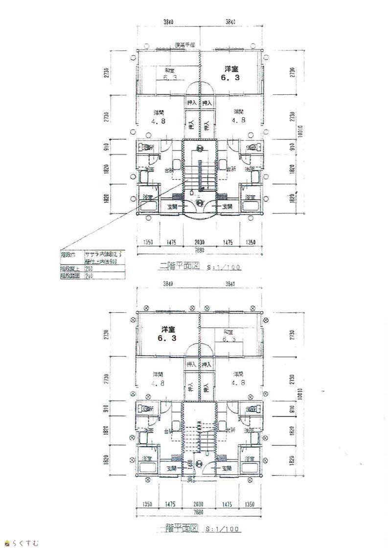
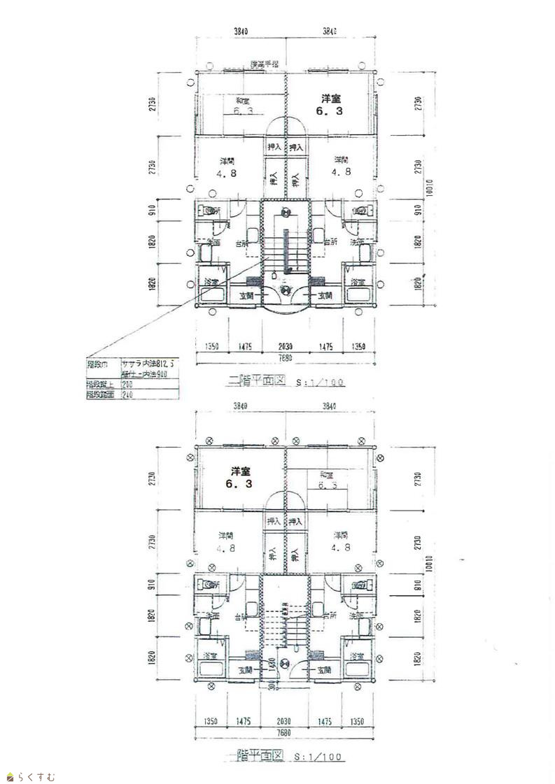
構造 木造 階建 地上2階建
建ぺい率/容積率 50%/80%
建物面積 1階 67.64㎡/ 2階 76.87㎡/ 計 144.51㎡ /43.71坪
土地面積 234.44㎡ /70.91坪
築年月 1991年3月(築35年)
入居(引き渡し)時期 相談
用途地域 第1種低層住居専用地域 地目 宅地  (現状:宅地)
都市計画 市街化区域 学校区 上川西小学校(212m)・江陽中学校(1,055m)
形状 間口 10.18m × 奥行 23.03m 道路 長岡市道
私道 - その他の制限 -
  • 売アパート
    有限会社 高治企画 
  • この物件を問い合わせる/無料
  • TEL: 0258-27-6599

物件詳細情報

所在階/階数 - 号室 -
販売価格 13,000,000円 方位 -
表面利回り(満室想定時) 13.56% 満室想定年収 1,764,000円 (想定月収: 147,000円 )
現行利回り 13.56% 現行年間年収 1,764,000円
住戸数 4
間取り 4.8(洋)6.3(洋)
専有面積 35.53㎡ /10.74坪 ~ 35.53㎡ /10.74坪 バルコニー面積 -
その他面積 - 駐車場 無料
管理費 - 修繕積立金 -
現況 賃貸中
仲介手数料 495,000円
利用制限 ペット:不可、楽器:不可
設備 駐車場(近隣含む)、公営水道、都市ガス、下水道
取引態様 一般
備考 -
取り扱い会社

有限会社 高治企画 

新潟県長岡市荻野1丁目6番7号

情報登録日 2025/12/11 次回更新予定日 2026/04/05
取引条件有効期限 2025/09/05
  • 売アパート
    有限会社 高治企画 
  • この物件を問い合わせる/無料
  • TEL: 0258-27-6599

この物件の地図・周辺情報・行政情報

この物件の周辺情報・行政情報を詳しく見る
【周辺情報】
物件の近くにあるコンビニや銀行・学校など、アイコン付のマップで詳しく表示できます!
【行政情報】
水道料や下水道料・ガス料金など、暮らしに関係のある情報を表示しています。

担当取扱い店舗情報

取扱い店舗画像
有限会社 高治企画 
TEL: 0258-27-6599
所在地: 新潟県長岡市荻野1丁目6番7号
交通: JR長岡駅、バス(越後交通)
営業時間: 9:00~17:00/定休日:土曜・日曜・祭日(3月は無休)
免許番号: 新潟県知事(6)第4078号 この会社の情報を詳しく見る
所属団体名: 新潟県宅地建物取引協会 長岡支部
取引態様: 一般
ホームページ: http://www.takaharu-k.co.jp