物件掲載企業数:297|賃貸物件:3,620件|売買物件:3,322件|今週の登録物件:244
閲覧中のブラウザ(インターネットエクスプローラー)は非推奨ブラウザです。
物件が正しく表示されなかったり、正しく検索されない場合があります。最新のブラウザ(Google Chrome・Edgeなど)にてご利用お願いいたします。
  

長岡市宝3丁目4-14 売土地・分譲地 6,500,000円の物件情報

目の前の中瀬橋を渡れば「エコトピア寿」に直通。お風呂とプールが楽しめます。!!

物件名/所在地 詳細 価格
宝3丁目北西角地
長岡市宝3丁目4-14
  • 土地面積
    :204㎡ /61.71坪
  • 坪単価
    :105,331円/坪
  • 建ぺい率
    :70%
  • 容積率
    :200%
6,500,000
  • 宝3丁目北西角地
    株式会社 島岡不動産企画
  • この物件を問い合わせる/無料
  • TEL: 0258-39-6030

物件画像

外観 間取り
物件画像
※画像クリックで拡大表示
全景
物件画像
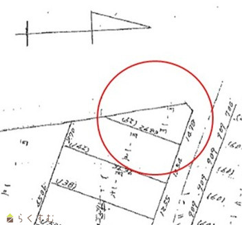
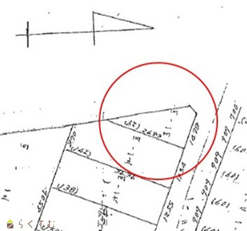
※画像クリックで拡大表示
区画図
詳細画像


物件概要

物件コード 00008-200258
物件名 宝3丁目北西角地
交通 バス:宝3丁目から徒歩6分
物件所在地 長岡市宝3丁目4-14
物件種別 売土地・分譲地
物件区分 売土地
構造 - 階建 -
建ぺい率/容積率 70%/200%
建物面積 -
土地面積 204㎡ /61.71坪
築年月 -
入居(引き渡し)時期 相談
用途地域 準工業地域 地目 宅地  (現状:建付地)
都市計画 市街化区域 学校区 黒条小学校(1,435m)・堤岡中学校(1,468m)
形状 間口 11.08m × 奥行 26.83m 道路 北側12m消雪道路、西側6m消雪道路
私道 - その他の制限 -
  • 宝3丁目北西角地
    株式会社 島岡不動産企画
  • この物件を問い合わせる/無料
  • TEL: 0258-39-6030

物件詳細情報

所在階/階数 - 号室 -
販売価格 6,500,000円 方位 -
間取り -
専有面積 - バルコニー面積 -
その他面積 - 駐車場 -
管理費 - 修繕積立金 -
現況 空家
仲介手数料 330,000円
利用制限 -
設備 角地、前道6m以上、更地、閑静な住宅街、建築条件なし、所有権、電気、都市ガス(宅地内)、上水道(宅地内)、下水道(宅地内)、前面道路融雪設備あり、住宅向け
取引態様 一般
備考 ★建物解体更地渡し
★消雪組合費負担有り(年額12,000円)
取り扱い会社

株式会社 島岡不動産企画

新潟県長岡市西新町1-8-11

情報登録日 2025/04/18 次回更新予定日 2025/12/28
取引条件有効期限 2025/07/31
  • 宝3丁目北西角地
    株式会社 島岡不動産企画
  • この物件を問い合わせる/無料
  • TEL: 0258-39-6030

この物件の地図・周辺情報・行政情報

この物件の周辺情報・行政情報を詳しく見る
【周辺情報】
物件の近くにあるコンビニや銀行・学校など、アイコン付のマップで詳しく表示できます!
【行政情報】
水道料や下水道料・ガス料金など、暮らしに関係のある情報を表示しています。
デイリーヤマザキ 長岡宝3丁目店(コンビニ)まで220m
長岡信用金庫 宝支店(銀行)まで430m
第四北越銀行 長岡北支店(銀行)まで800m
長岡宝郵便局(郵便局)まで320m
エコトピア寿まで180m

※カメラのアイコンがある場合は、マウスをポイントするとその施設の画像がご覧いただけます。


担当取扱い店舗情報

取扱い店舗画像
株式会社 島岡不動産企画
TEL: 0258-39-6030
所在地: 新潟県長岡市西新町1-8-11
交通: 「新町小学校前」バス停徒歩1分
営業時間: 9:00~18:30/定休日:日曜・祭日
免許番号: 新潟県知事(4)4829号 この会社の情報を詳しく見る
所属団体名: 公益社団法人 新潟県宅地建物取引業協会
取引態様: 一般
ホームページ: http://www.shimaoka.co.jp