物件掲載企業数:299|賃貸物件:2,911件|売買物件:3,228件|今週の登録物件:348
閲覧中のブラウザ(インターネットエクスプローラー)は非推奨ブラウザです。
物件が正しく表示されなかったり、正しく検索されない場合があります。最新のブラウザ(Google Chrome・Edgeなど)にてご利用お願いいたします。
  

長岡市城岡3丁目803-23 外3筆    (土地地番) 売土地・分譲地 5,000,000円の物件情報

価格改定しました!

物件名/所在地 詳細 価格
城岡3丁目 売土地
長岡市城岡3丁目803-23 外3筆    (土地地番)
  • 土地面積
    :245.66㎡ /74.31坪
  • 坪単価
    :67,285円/坪
  • 建ぺい率
    :60%
  • 容積率
    :200%
5,000,000
  • 城岡3丁目 売土地
    株式会社 島岡不動産企画
  • この物件を問い合わせる/無料
  • TEL: 0258-39-6030

物件画像

外観 間取り
物件画像
※画像クリックで拡大表示
外観
物件画像
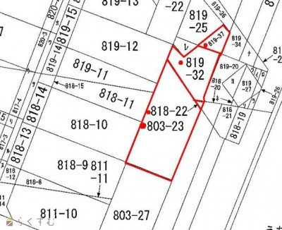
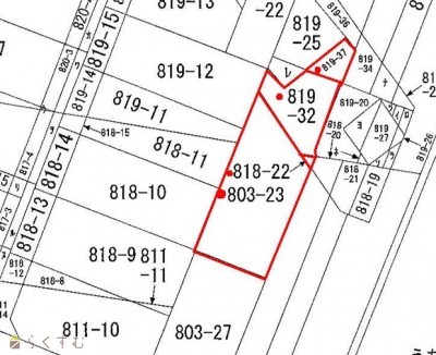
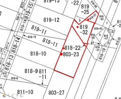
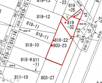
※画像クリックで拡大表示
公図
詳細画像


物件概要

物件コード 00008-200223
物件名 城岡3丁目 売土地
交通 バス:OM製作所前から徒歩8分
物件所在地 長岡市城岡3丁目803-23 外3筆    (土地地番)
物件種別 売土地・分譲地
物件区分 売土地
構造 - 階建 -
建ぺい率/容積率 60%/200%
建物面積 -
土地面積 245.66㎡ /74.31坪
築年月 -
入居(引き渡し)時期 随時入居(引き渡し)可
用途地域 準工業地域 地目 雑種地  (現状:宅地)
都市計画 市街化区域 学校区 新町小学校(1,702m)・北中学校(852m)
形状 間口 30m × 奥行 9.5m 道路 東側長岡市道 6.6m
私道 - その他の制限 -
  • 城岡3丁目 売土地
    株式会社 島岡不動産企画
  • この物件を問い合わせる/無料
  • TEL: 0258-39-6030

物件詳細情報

所在階/階数 - 号室 -
販売価格 5,000,000円 方位 -
間取り -
専有面積 - バルコニー面積 -
その他面積 - 駐車場 -
管理費 - 修繕積立金 -
現況 -
仲介手数料 330,000円
利用制限 -
設備 前道6m以上、建築条件なし、所有権、側溝、上水道(前面道路)、下水道(前面道路)、電気
取引態様 一般
備考 ■上水道(要本管延長)、下水道(要本管延長)
取り扱い会社

株式会社 島岡不動産企画

新潟県長岡市西新町1-8-11

情報登録日 2025/07/11 次回更新予定日 2026/04/05
取引条件有効期限 2025/03/31
  • 城岡3丁目 売土地
    株式会社 島岡不動産企画
  • この物件を問い合わせる/無料
  • TEL: 0258-39-6030

この物件の地図・周辺情報・行政情報

この物件の周辺情報・行政情報を詳しく見る
【周辺情報】
物件の近くにあるコンビニや銀行・学校など、アイコン付のマップで詳しく表示できます!
【行政情報】
水道料や下水道料・ガス料金など、暮らしに関係のある情報を表示しています。
ファミリーマート長岡下々条店(コンビニ)まで430m
ローソン 長岡稲葉町店(コンビニ)まで830m
ウエルシア長岡稲葉町店 (調剤薬局)(ドラッグストア)まで790m
長岡稲葉町郵便局(郵便局)まで640m

※カメラのアイコンがある場合は、マウスをポイントするとその施設の画像がご覧いただけます。


担当取扱い店舗情報

取扱い店舗画像
株式会社 島岡不動産企画
TEL: 0258-39-6030
所在地: 新潟県長岡市西新町1-8-11
交通: 「新町小学校前」バス停徒歩1分
営業時間: 9:00~18:30/定休日:日曜・祭日
免許番号: 新潟県知事(4)4829号 この会社の情報を詳しく見る
所属団体名: 公益社団法人 新潟県宅地建物取引業協会
取引態様: 一般
ホームページ: http://www.shimaoka.co.jp