物件掲載企業数:296|賃貸物件:3,525件|売買物件:3,312件|今週の登録物件:324
閲覧中のブラウザ(インターネットエクスプローラー)は非推奨ブラウザです。
物件が正しく表示されなかったり、正しく検索されない場合があります。最新のブラウザ(Google Chrome・Edgeなど)にてご利用お願いいたします。
  

新潟県長岡市西津町3785番10 売土地・分譲地 13,000,000円の物件情報

北東角地、ロピア開業予定、左岸バイパス近くの更地渡し土地。

物件名/所在地 詳細 価格
【売土地】西津町(更地渡し)
新潟県長岡市西津町3785番10
  • 土地面積
    :182.76㎡ /55.28坪
  • 坪単価
    :235,166円/坪
  • 建ぺい率
    :70%
  • 容積率
    :200%
13,000,000
  • 【売土地】西津町(更地渡し)
    株式会社 長岡土地
  • この物件を問い合わせる/無料
  • TEL: 0258-33-4844

物件画像

外観 間取り
物件画像
※画像クリックで拡大表示
外観
物件画像
※画像クリックで拡大表示
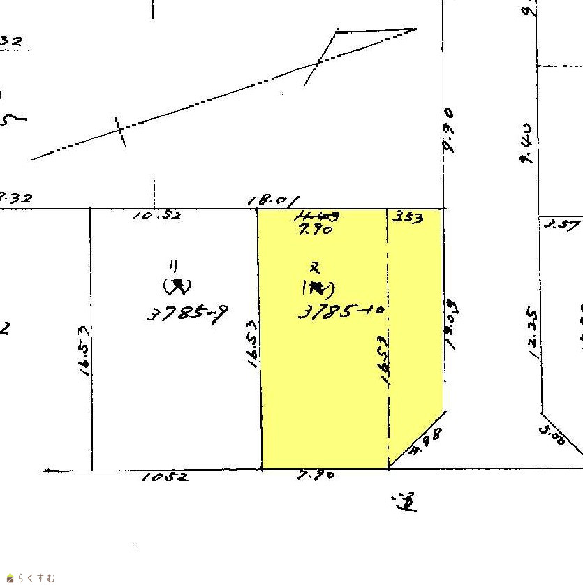
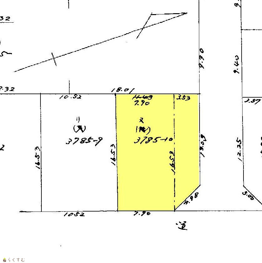
地積測量図
詳細画像


物件概要

長岡市西津町、長岡西病院近くの好立地。近隣でスーパーロピアがオープン準備中、左岸バイパスへもアクセス良好です。北東角地で開放感があり、建物は取り壊し後の更地渡し、建築条件はありません。
物件コード 00006-200264
物件名 【売土地】西津町(更地渡し)
交通 駅:上越新幹線 長岡駅から徒歩49分、バス:長岡西病院前から徒歩4分
物件所在地 新潟県長岡市西津町3785番10
物件種別 売土地・分譲地
物件区分 売土地
構造 - 階建 -
建ぺい率/容積率 70%/200%
建物面積 -
土地面積 182.76㎡ /55.28坪
築年月 -
入居(引き渡し)時期 相談
用途地域 第1種中高層住居専用地域 地目 宅地  (現状:宅地)
都市計画 市街化区域 学校区 大島小学校(813m)・大島中学校(330m)
形状 間口 11.4m × 奥行 16.5m 道路 公道 北東角地 幅員5.8/11.4
私道 - その他の制限 第2種高度地区、建基法第22条区域
  • 【売土地】西津町(更地渡し)
    株式会社 長岡土地
  • この物件を問い合わせる/無料
  • TEL: 0258-33-4844

物件詳細情報

所在階/階数 - 号室 -
販売価格 13,000,000円 方位 -
間取り -
専有面積 - バルコニー面積 -
その他面積 - 駐車場 -
管理費 - 修繕積立金 -
現況 古家あり更地引渡可
仲介手数料 495,000円
利用制限 -
設備 角地、整形地、スーパー近く、建築条件なし、所有権、側溝、都市ガス(宅地内)、上水道(宅地内)、下水道(宅地内)、前面道路融雪設備あり、住宅向け
取引態様 一般
備考 町内費、消雪組合費調査中
取り扱い会社

株式会社 長岡土地

新潟県長岡市東坂之上町3-4-8

情報登録日 2026/01/11 次回更新予定日 2026/02/18
取引条件有効期限 2026/01/31
  • 【売土地】西津町(更地渡し)
    株式会社 長岡土地
  • この物件を問い合わせる/無料
  • TEL: 0258-33-4844

この物件の地図・周辺情報・行政情報

この物件の周辺情報・行政情報を詳しく見る
【周辺情報】
物件の近くにあるコンビニや銀行・学校など、アイコン付のマップで詳しく表示できます!
【行政情報】
水道料や下水道料・ガス料金など、暮らしに関係のある情報を表示しています。

担当取扱い店舗情報

取扱い店舗画像
株式会社 長岡土地
TEL: 0258-33-4844
所在地: 新潟県長岡市東坂之上町3-4-8
交通: 長岡駅大手口より徒歩約10分
営業時間: 8:30~18:30/定休日:水曜日・祝祭日(他 GW、夏季休暇、年末年始等)
免許番号: 新潟県知事(9)3247号 この会社の情報を詳しく見る
所属団体名: 全国宅地建物取引業協会 長岡支部
取引態様: 一般
ホームページ: https://nagaokatoti.com