物件掲載企業数:299|賃貸物件:2,912件|売買物件:3,226件|今週の登録物件:352
閲覧中のブラウザ(インターネットエクスプローラー)は非推奨ブラウザです。
物件が正しく表示されなかったり、正しく検索されない場合があります。最新のブラウザ(Google Chrome・Edgeなど)にてご利用お願いいたします。
  

新潟県長岡市学校町3丁目31-1 駐車場 0.8万円の物件情報

物件名
所在地
面積
間取り
所在階
築年数
方位
賃料
管理費等
共益費
敷金
保証金
礼金
種別
構造
学校町3丁目KYパーキング
新潟県長岡市学校町3丁目31-1
-
-
-
-
-
0.8万円
なし
なし
なし
なし
なし
駐車場
-
  • 学校町3丁目KYパーキング
    株式会社 和興不動産
  • この物件を問い合わせる/無料
  • TEL: 0258-35-1321

物件画像

外観 間取り
物件画像
※画像クリックで拡大表示
駐車場
物件画像
※画像クリックで拡大表示
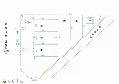
区画図
詳細画像


物件概要

物件コード 00005-100070
物件名 学校町3丁目KYパーキング
交通 駅:JR長岡駅から徒歩9分
所在地 新潟県長岡市学校町3丁目31-1
物件種別 駐車場
総戸数 -
構造 - 階建 -
所在階/階数 - 号室 -
面積 - 方位 -
間取り -
賃料 0.8万円/月
管理費 -
礼金 -
敷金 -
ほか初期費用 - その他諸費用 -
更新料 - 火災(家財)保険 -
共益費 - 町内費 -
駐車場 - バイク料金 -
鍵交換費 - 清掃料 -
更新事務手数料 -
保証区分 保証会社+緊急連絡先
保証会社 区分:加入要
保証会社名:その他 (-)
月額賃料の80% 別途 送金手数料330円/月
家賃保証金 6,400円
連帯保証人 区分:不要
-
仲介手数料 8,000円
築年月 -
利用制限 -
学校区 四郎丸小学校(482m)・南中学校(1,057m)
設備 即利用可能、融雪井戸あり、保証会社要加入
入居時期 即入居可
取引態様 仲介
備考 ※コンパクトカー(小型車)に限ります。
手数料負担割合/配分割合 貸主:-%   借主:100% / 元付:50%   客付:50%  
取り扱い会社

株式会社 和興不動産

新潟県長岡市旭町2-3-1

情報登録日 2026/01/24 次回更新予定日 2026/04/05
  • 学校町3丁目KYパーキング
    株式会社 和興不動産
  • この物件を問い合わせる/無料
  • TEL: 0258-35-1321

この物件の地図・周辺情報・行政情報

この物件の周辺情報・行政情報を詳しく見る
【周辺情報】
物件の近くにあるコンビニや銀行・学校など、アイコン付のマップで詳しく表示できます!
【行政情報】
水道料や下水道料・ガス料金など、暮らしに関係のある情報を表示しています。

担当取扱い店舗情報

取扱い店舗画像
株式会社 和興不動産
TEL: 0258-35-1321
所在地: 新潟県長岡市旭町2-3-1
交通: 長岡駅より徒歩8分
営業時間: 9:00~18:00/定休日:日曜・祝日(事前予約で日曜・祝日のご案内可能です)
免許番号: 新潟県知事第(16)0387号 この会社の情報を詳しく見る
所属団体名: 全国宅地建物取引業保証協会
取引態様: 仲介
ホームページ: http://www.wako-re.info